| T O P I C R E V I E W |
| Robert |
Posted - 19/09/2011 : 01:18:34 
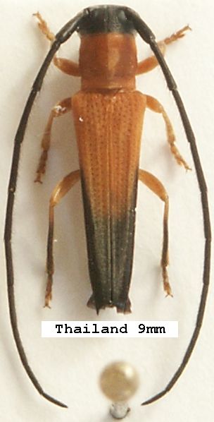
Un petit Saperdini de Thaïlande |
| 3 L A T E S T R E P L I E S (Newest First) |
| Francesco |
Posted - 13/02/2012 : 13:26:38 Confirmée: Nupserha fricator fricator (Dalman, 1817), mâle. |
| Robert |
Posted - 24/09/2011 : 21:34:41 Merci pour ton aide, Francesco. Je vais mettre ce nom pour l'instant. |
| Francesco |
Posted - 24/09/2011 : 08:48:43 Mâle de Nupserha, probablement N. fricator (Dalman, 1817), mais je n'ai pas les clés pour le vérifier. |
|
|