| Author |
Topic  |
|
|
Xavier
Scientific Collaborator
    
France
12551 Posts |
Posted - 23/09/2012 : 15:12:23
|
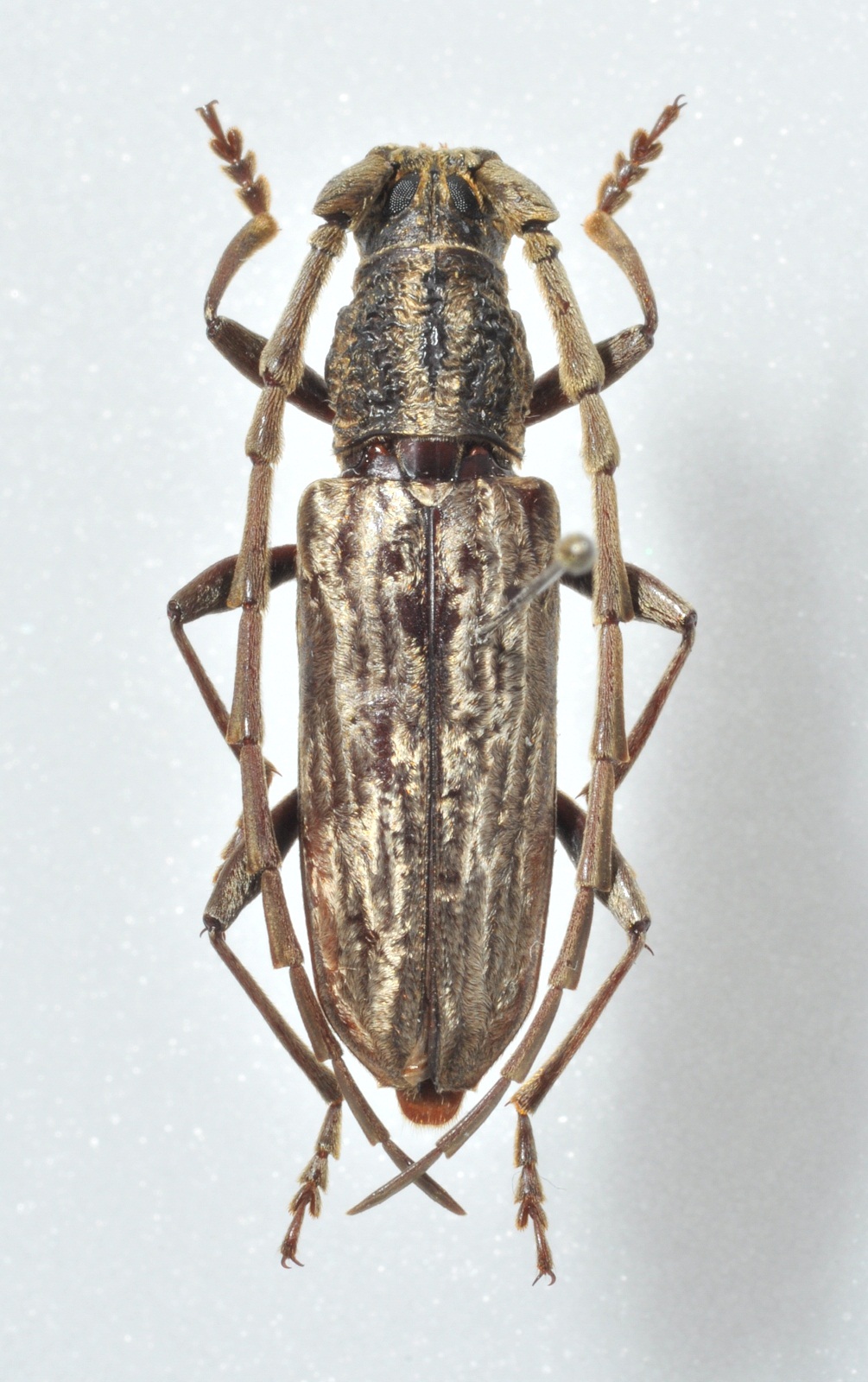
18 à 22 mm . Hua Phan, Nord Laos. Couple de Cerambycini (Pseudoaeolesthes?) pris à la lumière de la lampe-torche sur un tronc mort. Je ne trouve aucune espèce ressemblante dans Gressitt (1970), Holzschuh, (...), ni sur le forum. Rien. |
Edited by - Xavier on 18/05/2019 12:40:52 |
|
|
Xavier
Scientific Collaborator
    
France
12551 Posts |
Posted - 23/09/2012 : 15:21:45
|
| ...or could it be Diorthus laosensis Pic, 1923? |
 |
|
|
Xavier
Scientific Collaborator
    
France
12551 Posts |
Posted - 24/09/2012 : 18:49:14
|

J'ajoute cette photographie (18 mm, même localité); celui-ci est bien un mâle. J'ai un doute sur le sexe de l'exemplaire de gauche ! |
 |
|
|
Xavier
Scientific Collaborator
    
France
12551 Posts |
Posted - 27/09/2012 : 20:22:15
|
Un Dymasius plutôt ? C. Holzschuh décrit une espèce assez proche, mais de Sabah (Bornéo), dans Les Cahiers Magellanes, 2005 |
 |
|
|
Pierre
Member Rosenbergia
   
Switzerland
1841 Posts |
Posted - 30/09/2012 : 15:44:10
|
I have the same from China / Yunnan. |
 |
|
|
Xavier
Scientific Collaborator
    
France
12551 Posts |
Posted - 30/09/2012 : 21:25:15
|
As-tu vérifié, Pierre, qu'il ne s'agit pas d'un des Dymasius décrits par Holzschuh du nord Thailande (D. brevis ?) dans sa publication de 1991 (45 neue Bockkäfer aus Asien, vorwiegend aus Thailand). Lire cet article en allemand m'est impossible. |
 |
|
|
Francesco
Forum Admin
    
Luxembourg
9675 Posts |
Posted - 02/10/2012 : 10:31:21
|
Aucune de ces espèces appartient au genre Aeolesthes, qui a une carène et pas un sillon entre les antennes. La cicatrice sur le scape pourrait indiquer Diorthus, mais il faut que je vérifie. |
 |
|
|
Pierre
Member Rosenbergia
   
Switzerland
1841 Posts |
Posted - 02/10/2012 : 20:20:19
|
Dymasius ... pourquoi pas. Je ne serais absolument pas étonné si les 4 spécimen figurés dans ce post jusque là appartiennent à plusieurs espèces. Sur la première photo devraient déjà se trouver 2 bêtes différentes. - A propos de Holzschuh et ses écrits, je me permets ici ceci: à quoi bon de publier, année après année, des descriptions interminables sans doute très précises, mais totalement inutilisables? L'article auquel tu fais référence, Xavier, décrit 5 nouveaux Dymasius, et dans chaque espèce décrite il est fait mention d'autres espèces semblables: brevipes n.sp > macilentus; nimbatus n.sp. > plagiatus; exilis n.sp. > nimbatus; turgidulus n.sp. > minor; carinipennis n.sp. > minor et turgidulus. Comment veux-tu, à la lecture de telles descriptions et sans avoir tout ce matériel de comparaison sous les yeux, être capable d'identifier quelque chose? Pourquoi, avec toute cette connaissance, on ne met pas dans le contexte les n.sp. en les intégrant dans une clé? Je suis désolé, mais même en maîtrisant la langue allemande, il est impossible avec ce genre de textes de se faire une opinion même approximative. Francesco, c'est au pro de jouer ... |
 |
|
|
Xavier
Scientific Collaborator
    
France
12551 Posts |
Posted - 02/10/2012 : 20:55:41
|
Parmi mes 3 spécimens,je suis certain d'avoir un couple puisque 2 d'entre eux étaient accouplés quand je les ai capturés... Mais lesquels des 3 ? Je ne me souviens pas. je ne parviens pas à trouver de différences entre les 2 premiers, ni avec le 3ème d'ailleurs. Cependant, la longueur des antennes n'est pas claire pour en faire une seule espèce !... Quant à ton espèce Pierre, je n'ose pas m'avancer. Je regrette aussi que M. C. Holzschuh ne nous propose aucune clé, et de n'avoir que ses seules descriptions comme documentation. Mais que faire ?  |
 |
|
|
Francesco
Forum Admin
    
Luxembourg
9675 Posts |
Posted - 02/10/2012 : 21:55:58
|
Tout à fait, Pierre... et je crois qu'il soit fait exprès. Selon moi, ceci sont un couple de Diorthus laosensis (Pic, 1923). Le scape a une cicatrice, la forme et le sculpture du pronotum semblent correspondre (même la tache noire discale) et aussi la proportion des articles des antennes du mâle. Les autres... voyons... |
 |
|
|
Xavier
Scientific Collaborator
    
France
12551 Posts |
Posted - 03/10/2012 : 13:53:03
|
| Ces 2 là vont effectivement bien ensemble sous la binoculaire. Ma troisième espèce, je ne sais pas. |
 |
|
|
Xavier
Scientific Collaborator
    
France
12551 Posts |
Posted - 18/05/2019 : 12:40:27
|
| following Miroshnikov, 2018 : Lamellocerambyx laosensis Pic, 1923, comb. rest. |
 |
|
| |
Topic  |
|