| Author |
Topic  |
|
Robert
Member Rosenbergia
   
Canada
1295 Posts |
Posted - 26/09/2012 : 19:01:56
|
Quelqu'un reconnaît cette espèce? / Anybody knows which species it is? |
Edited by - Xavier on 07/12/2024 19:52:56 |
|
|
Xavier
Scientific Collaborator
    
France
12533 Posts |
Posted - 26/09/2012 : 22:02:23
|
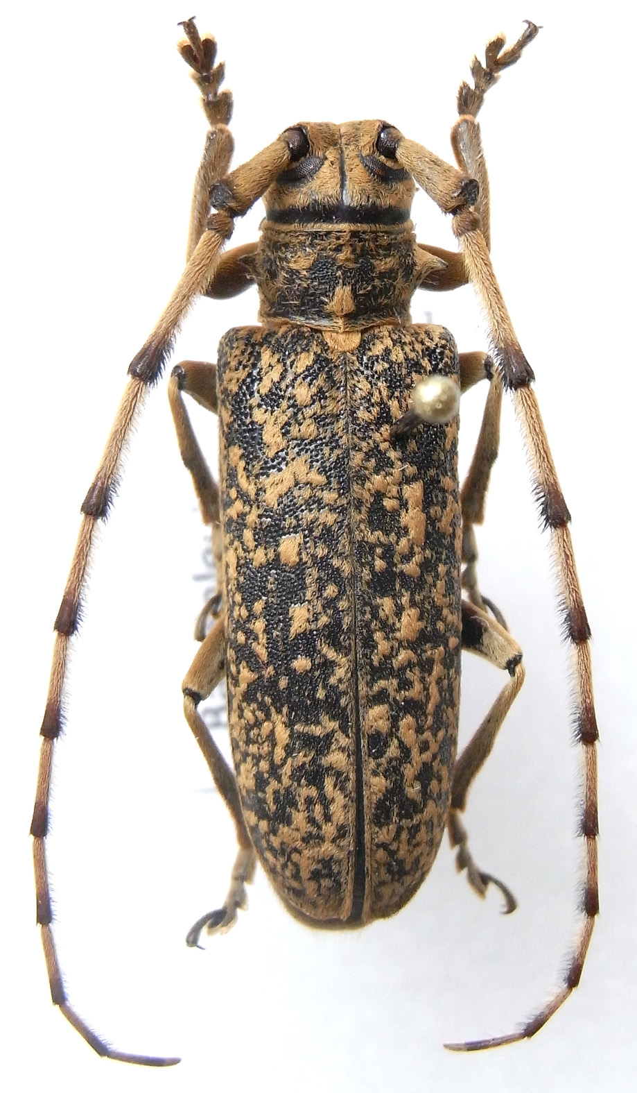
23 mm. Hua Phan, nord Laos.
Je pense qu'il s'agit de la même espèce, mais entière . La seule piste que j'ai trouvée est celle du Genre Coscinesthes, mais la ponctuation me semble différente. |
 |
|
|
Robert
Member Rosenbergia
   
Canada
1295 Posts |
Posted - 27/09/2012 : 06:54:15
|
Nous avons la même espèce entre les mains. Si jamais tu as une antenne gauche en surplus, je suis preneur!  |
 |
|
|
Xavier
Scientific Collaborator
    
France
12533 Posts |
Posted - 27/09/2012 : 07:27:38
|
J'en ai une ! On se contacte pour un échange ?  |
 |
|
|
Robert
Member Rosenbergia
   
Canada
1295 Posts |
Posted - 27/09/2012 : 08:17:31
|
Je suis toujours ouvert aux échanges, cela va de soi!  |
 |
|
|
Bi
Member Demonax

China
59 Posts |
Posted - 27/09/2012 : 18:02:12
|
| Monochamus rondoni Breuning, 1965 |
 |
|
|
Robert
Member Rosenbergia
   
Canada
1295 Posts |
Posted - 27/09/2012 : 18:23:29
|
| Thank you Bi! |
 |
|
|
Francesco
Forum Admin
    
Luxembourg
9627 Posts |
Posted - 27/09/2012 : 19:19:55
|
Pardonnez la photo, c'est horrible (demain je la changerai), mais il me semble d'avoir la même bête de China (Guangxi), 20 mm. Je l’avais identifiée comme Mecynippus ciliatus (Gahan, 1888) à cause de ses antennes poilues.
Ici il me manque une patte... Xavier tu en as une à me prêter, par hasard??? Je suis preneur... |
 |
|
|
Xavier
Scientific Collaborator
    
France
12533 Posts |
Posted - 27/09/2012 : 19:46:46
|
Bonjour à tous et merci, Il me reste une bête. Je vous l'envoie et vous la partagez ?  |
 |
|
|
Xavier
Scientific Collaborator
    
France
12533 Posts |
Posted - 27/09/2012 : 20:05:57
|
| Alors, Monochamus ou Mecynippus ? Je cherche de mon côté. |
 |
|
|
Bi
Member Demonax

China
59 Posts |
Posted - 27/09/2012 : 20:14:41
|
Hi Fancesco, I have one specimen from Hainan Is. I also feel strange at its antennal hairs. Maybe the M. rondoni is a junior synonym? if we are able to know Mecynippus ciliatus's true face. |
 |
|
|
Francesco
Forum Admin
    
Luxembourg
9627 Posts |
Posted - 27/09/2012 : 21:27:06
|
| I too; however, its description is in the library (273-274). |
 |
|
|
Xavier
Scientific Collaborator
    
France
12533 Posts |
Posted - 27/09/2012 : 21:50:47
|
| I just read the description of Mecynippus ciliatus (Gahan, 1888) (= Monochamus), and for me, it's working. |
 |
|
|
Xaurus
Member Rosenbergia
   
Germany
1990 Posts |
Posted - 15/03/2013 : 15:53:57
|
 216.2 KB
Now I can solve the problem with this animal, it's Mimothestus delkeskampi Breuning, 1961, here the HT from ZMB |
 |
|
|
Francesco
Forum Admin
    
Luxembourg
9627 Posts |
Posted - 15/03/2013 : 16:36:50
|
I think Mimothestus delkeskampi is another Breuning's delirium... |
 |
|
|
Xavier
Scientific Collaborator
    
France
12533 Posts |
Posted - 15/03/2013 : 18:19:46
|
| What do you mean , Francesco ? |
 |
|
Topic  |
|