| Author |
Topic  |
|
|
Benjamin
Member Purpuricenus
 
France
157 Posts |
Posted - 24/10/2012 : 09:41:03
|

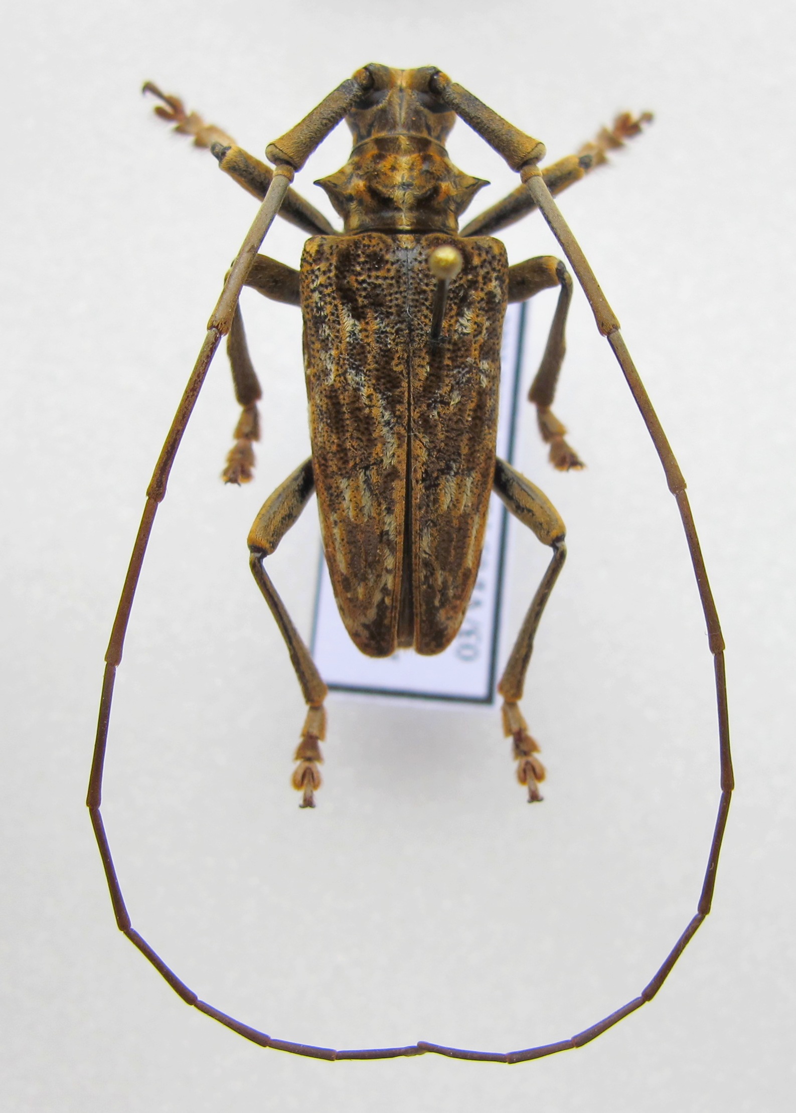
Bonjour, J'ai du mal à mettre un nom à cette espèce de 24 mm, prise au Laos en 2003. Je la mettrais bien dans le genre Pharsalia, mais je n'arrive pas à lui mettre un nom d'espèce. |
Edited by - Xavier on 28/10/2025 18:54:31 |
|
|
Xavier
Scientific Collaborator
    
France
12550 Posts |
Posted - 24/10/2012 : 11:33:24
|
| Juste une idée : j'irais voir du côté des Acalolepta, Benjamin. |
 |
|
|
Xavier
Scientific Collaborator
    
France
12550 Posts |
Posted - 18/11/2012 : 17:47:47
|
Je pense que ton espèce appartient au genre Crucihammus. Curieusement, je ne trouve aucune trace dans les bases de données du Crucihammus laosicus mentionné dans Gressitt (1970) page 431. |
 |
|
|
Benjamin
Member Purpuricenus
 
France
157 Posts |
Posted - 18/11/2012 : 22:40:27
|
Merci Xavier, pour la nouvelle piste. En fait, Cyriotasastes laosicus Breuning, 1965 semble être un synonyme de Crucihammus grossepunctatus Breuning, 1964. Je vais tenter de trouver la description originale demain. |
 |
|
|
Francesco
Forum Admin
    
Luxembourg
9675 Posts |
Posted - 01/04/2013 : 13:37:50
|
Je ne sais pas pourquoi la base Titan a mis en synonymie ces espèces. Elles sont différentes d'après Rondon & Breuning (1970) et séparées par la couleur des articles antennaires. Celui-ci, avec les antennes de couleur uniforme, correspond à Crucihammus laosicus (Breuning, 1965). |
 |
|
|
Francesco
Forum Admin
    
Luxembourg
9675 Posts |
Posted - 03/05/2013 : 11:59:21
|
Actually, it seems extremely similar to Haplothrix pulchra (here). |
 |
|
|
dryobius
Member Rosenbergia
   
USA
1918 Posts |
Posted - 03/05/2013 : 15:25:39
|
Yes, it's a male of Haplothrix pulchra.
A photo of the female was just recently posted !! |
 |
|
|
Benjamin
Member Purpuricenus
 
France
157 Posts |
Posted - 04/05/2013 : 23:05:55
|
Thank a lot for this identification. Benjamin |
 |
|
|
Xavier
Scientific Collaborator
    
France
12550 Posts |
Posted - 19/05/2018 : 22:44:53
|
| This species from Laos is not the same than the Bornean species: shape of pronotum spine is different (and Laos is far from Borneo). |
 |
|
|
Xavier
Scientific Collaborator
    
France
12550 Posts |
Posted - 25/10/2025 : 10:40:25
|
| It is Cremnosterna alternans Breuning, 1943. |
 |
|
|
znort
Member Rosalia
  
France
511 Posts |
Posted - 28/10/2025 : 18:30:45
|
| Comparé à ton specimen, celui-ci n'a pas les antennes bicolores. |
Chinese Cerambycidae |
 |
|
|
Xavier
Scientific Collaborator
    
France
12550 Posts |
Posted - 28/10/2025 : 18:53:19
|
c'est juste ! J'ignore ce que c'est dans ce cas. |
 |
|
| |
Topic  |
|