| Author |
Topic  |
|
|
Xavier
Scientific Collaborator
    
France
12551 Posts |
Posted - 01/01/2013 : 10:44:24
|

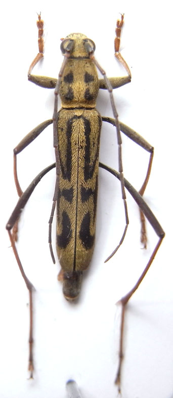
12-14 mm. Hua Phan, nord Laos. April-May 2012. Rhaphuma quadrimaculata Pic, 1923 for the forum's gallery. Here the picture of Gressitt's fauna. |
Edited by - Xavier on 31/01/2016 10:59:04 |
|
|
Xaurus
Member Macrodontia
    
Germany
2017 Posts |
Posted - 02/01/2013 : 22:50:40
|
Dear Xavier,
I have identified such spms from S-Yunnan as R. quadrimaculata, with very remarkable parameres, but sorry, recently I haven't any picture from the genitals.
greetings Andreas |
 |
|
|
Xavier
Scientific Collaborator
    
France
12551 Posts |
Posted - 03/01/2013 : 09:30:10
|
Thank you Andreas. The difficulty for me is seeing the difference between R. quadrimaculata and other close species like Rhaphuma improvisa Holzschuh, 1991 and Rhaphuma lanzhui Holzschuh, 1991. Well, I'll try to show parameres soon. |
 |
|
|
Xaurus
Member Macrodontia
    
Germany
2017 Posts |
Posted - 03/01/2013 : 19:45:48
|
Dear Xavier,
the best differentiation you find by the genitals, acc. the pictures by Holzschuh 1991 its very difficult, only you have all 3 sps arranged abreast. The parameres of 4-maculata are more similar to those of R. illicata pictured at page 74 in this paper too.
bg Andreas |
 |
|
|
Xavier
Scientific Collaborator
    
France
12551 Posts |
Posted - 03/01/2013 : 21:25:46
|
| Thank you Andreas. I have to check all my specimens with close patterns. |
 |
|
| |
Topic  |
|