| Author |
Topic  |
|
|
dryobius
Member Rosenbergia
   
USA
1918 Posts |
Posted - 12/01/2013 : 23:03:02
|
 474.93 KB
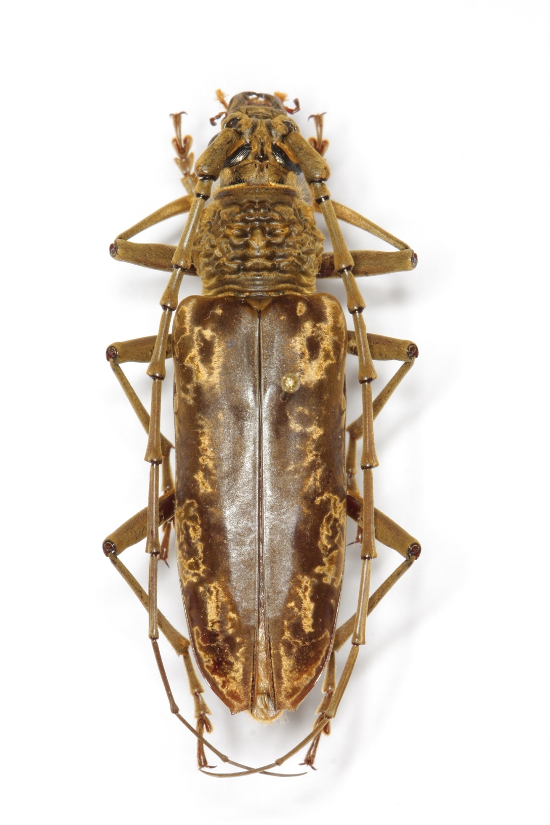
Attached is another unidentified species from Borneo. A female. No spines visible. Holzschuh commented that it was a species close to holoserica. This species has a consistently golden pubescence. |
Edited by - Gerard on 30/01/2016 17:16:34 |
|
|
Francesco
Forum Admin
    
Luxembourg
9697 Posts |
Posted - 20/01/2013 : 08:42:20
|
Dear Dan, finally, I have split your post inserting a new topic.
In my opinion, this beetle corresponds to Neocerambyx alexis Pascoe, 1869, a species Gahan synonymised with A. aurifaber. Nonetheless, Pascoe (Fauna Malayana, p. 512) well noticed the typical presence of the femoral teeth in A. aurifaber while it did not stated them for N. alexis. I think that it is necessary to check the type in Paris; however, Aeolesthes alexis should be an unpublished n. comb.
|
 |
|
|
dryobius
Member Rosenbergia
   
USA
1918 Posts |
Posted - 20/01/2013 : 17:14:40
|
Francesco,
How do you know they TYPE is in Paris? Most of Pascoe's types are in BMNH. I have a friend going to BMNH in two months and he will be able to take a few photographs for me.
Pascoe's original description ( 1869 p 512 ) is not adequate for me to be sure that you are correct, but it might be so.
The use of terms such as " grayish pubescence " and " grayish dull silky pubescence" are not the best ways to describe such a beetle.
If you can check in Paris then my friend will check in BMNH and we can get photos of the types which are synonyms of A. aurifaber and holosericea. |
 |
|
|
Francesco
Forum Admin
    
Luxembourg
9697 Posts |
Posted - 20/01/2013 : 18:01:06
|
quote: Originally posted by dryobius
How do you know they TYPE is in Paris? Most of Pascoe's types are in BMNH. I have a friend going to BMNH in two months and he will be able to take a few photographs for me.
Pascoe's original description ( 1869 p 512 ) is not adequate for me to be sure that you are correct, but it might be so. The use of terms such as " grayish pubescence " and " grayish dull silky pubescence" are not the best ways to describe such a beetle.
Dan, you are right, are Thomson's types I have seen in Paris. 
Concerning the description, we should not be too strict: in the previous pages A. aurifaber, induta, textor and externa are all defined as "griseo-pubescens", the former is even defined as "covered with grey pubescence", though the pubescence of these species is evidently golden.
However, the size (15 lines = 28.5 mm) suggests a species having the same size of A. aurifaber or A. induta. The antennae of male (twice as long as body) exclude a possible synonymy with A. curticornis. Thus, N. alexis is the only Malayan species with such size, antennae and without a smooth fold on the pronotum. |
 |
|
| |
Topic  |
|
|
|