| Author |
Topic  |
|
|
nalslan
Member Purpuricenus
 
China
325 Posts |
Posted - 29/01/2013 : 13:52:55
|

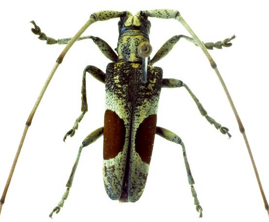
Another one also from Guizhou, China. Bi has said that it could be a Uraecha on his first sight. I found it has a mesosternal process which a Uraecha should not have. So I got lost. Any idea? Thanks. |
|
|
Francesco
Forum Admin
    
Luxembourg
9694 Posts |
Posted - 29/01/2013 : 19:32:52
|
| I am not sure that this beetle belongs to Lamiini. |
 |
|
|
Max
Member Rosalia
  
Russia
745 Posts |
Posted - 31/01/2013 : 17:43:43
|
I have a discreet idea - Annamanum sp.  |
 |
|
|
nalslan
Member Purpuricenus
 
China
325 Posts |
|
|
Francesco
Forum Admin
    
Luxembourg
9694 Posts |
Posted - 07/03/2013 : 20:05:39
|
It should be Annamanum chebanum (Gahan, 1895)... originally described as Uraecha. |
 |
|
|
Xaurus
Member Macrodontia
    
Germany
2019 Posts |
Posted - 07/03/2013 : 22:34:06
|
this spms looks like Annamanum lunulatum (Pic) but with really big black spots, in Annamanum the mesosternal processus should be enhanced and vertical declined anteriorely vice in Uraecha.
bG Andreas |
 |
|
|
nalslan
Member Purpuricenus
 
China
325 Posts |
Posted - 08/03/2013 : 15:50:02
|
Many thanks to Francesco again and Andreas. I noticed that my beetle is alike Annamanum lunulatum (Thanks to Xavier, Bi and others on the forum for posting relative materials and photos) but I could not conclude that they are the same species. I went to check Annamanum chebanum today and found the original description, and found how it said about the patch on elytra:
quote:
"...each with a somewhat roughly triangular velvety brown patch at the side just behind the middle ; this patch bounded in front and behind by an oblique dirty white patch which appears to be almost impunctate..."
So it raised my concern on the shape of the patch. I don't know how to get access to type photos from The Natural History Museum of London for the A. chebanum. Fortunately, I found a picture (fig. 2 f) of A. chebanum in Ponpinji (2011)'s checklist of Lamiinae in North Thailand (www.cerambycoidea.com/titles/ponpinij2011.pdf). I think my beetle is slightly different from A. lunulatum. I'll keep looking for others in the genus.
Thanks again to all of you!
 73.94#160;KB |
Edited by - nalslan on 08/03/2013 16:01:02 |
 |
|
|
Francesco
Forum Admin
    
Luxembourg
9694 Posts |
Posted - 08/03/2013 : 18:10:16
|
I have tried to improve your picture that is fairly clear on my PC; this is the result:

This species has nothing to do with Annamanum lunulatum, which is grey with a black spot. Here:

The image of Ponpinji's paper seems to be wrong; it should be Annamanum rondoni Br. Here the type:

On the contrary, this is the pattern of A. chebanum (Breuning, 1944):
 |
 |
|
|
nalslan
Member Purpuricenus
 
China
325 Posts |
Posted - 09/03/2013 : 02:30:06
|
Thank you Francesco! That makes things clear! Though I am still hesitating a little bit on the ratio of the patch position at the elytra. |
 |
|
|
Xaurus
Member Macrodontia
    
Germany
2019 Posts |
Posted - 31/01/2018 : 15:08:02
|
this species is now described as Annamanum magnum Holzschuh, 2017
|
 |
|
|
nalslan
Member Purpuricenus
 
China
325 Posts |
Posted - 01/02/2018 : 03:29:23
|
| Nice. Can you post source detail? Or even better, a copy of pdf? Thank you! |
 |
|
| |
Topic  |
|