| Author |
Topic  |
|
|
Xavier
Scientific Collaborator
    
France
12551 Posts |
Posted - 20/02/2013 : 14:09:01
|

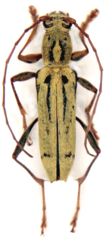
10 ŕ 11 mm. Hua Phan, Xam Nuea, nord-est Laos
J'avais posté cette espčce sur l'ancien forum, mais je n'ai pas avancé sur sa détermination. Je lui trouve une vague ressemblance avec Rhaphuma sulphurea dont le type est visible ici. |
Edited by - Xavier on 26/07/2017 10:03:54 |
|
|
Xaurus
Member Macrodontia
    
Germany
2019 Posts |
Posted - 21/02/2013 : 00:27:08
|
 47.2 KB
Dear Xavier,
I have R. sulphurea from southern Yunnan (identified together with C. Holzschuh), maybe your spms belongs to this sps. |
 |
|
|
Xavier
Scientific Collaborator
    
France
12551 Posts |
Posted - 21/02/2013 : 07:01:51
|
Yes! Interesting picture ! Thank you. I have got several specimens from north Laos, always lacking the longitudinal band. As you said, it looks like a ssp.  |
 |
|
|
Xavier
Scientific Collaborator
    
France
12551 Posts |
Posted - 26/07/2017 : 10:01:36
|
sp from Laos is Rhaphuma boreolaosica Viktora & Tichý, 2017. I hope this page has helped the authors . |
Edited by - Xavier on 26/07/2017 10:03:35 |
 |
|
|
Francesco
Forum Admin
    
Luxembourg
9694 Posts |
Posted - 22/07/2018 : 07:26:10
|
quote: Originally posted by Xavier
sp from Laos is Rhaphuma boreolaosica Viktora & Tichý, 2017. I hope this page has helped the authors .
Surely, but noting appeared in his publication (here). Thus, Tomas Tichý, alias horshehden, has been banned from this forum cause lack of good manners. |
 |
|
|
Francesco
Forum Admin
    
Luxembourg
9694 Posts |
Posted - 27/04/2025 : 11:19:19
|
| Petraphuma boreolaosica (Viktora & Tichy, 2017) after Viktora (2018). |
 |
|
| |
Topic  |
|