| Author |
Topic  |
|
|
Sergi
Member Rosenbergia
   
Spain
1793 Posts |
Posted - 29/03/2013 : 18:02:29
|
Dear colleagues, I'm starting a revision of the genus Pyrestes. I would appreciate your help, ceding me your exemplars for study, exchanging extra specimens or, at least, giving me a good photos of your Pyrestes, determined or undetermined.
If someone can help me, please, send me an email. Thank you very much to all!!! |
|
|
Xavier
Scientific Collaborator
    
France
12553 Posts |
Posted - 30/03/2013 : 08:38:54
|
Dear Sergi, You can find my pictures and "descriptions" of Pyrestes on the forum. They are in public section, so you can use it. We try, as I said to you, to do the same job since 2 years with znort...Very interesting subject ! |
 |
|
|
Larry Bezark
Member Macrodontia
    
USA
2644 Posts |
Posted - 26/07/2013 : 01:58:00
|
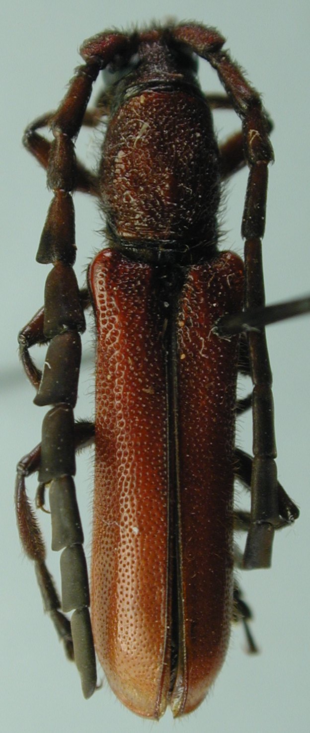
Sergi, here are the photos of the 4 Pyrestes I collected in northern Vietnam this spring. Unfortunately I only got one of each.
The first 3 are from Tam Dao, the last is from Phja-den.
Please let me know the species if you can. I have some specimens from Borneo (same species as Dan Heffern) if you need to see them, let me know.
Larry B.
 194 KB
 155.52 KB
 123.02 KB
 203.02 KB |
Edited by - Larry Bezark on 26/07/2013 01:59:42 |
 |
|
| |
Topic  |
|
|
|