| Author |
Topic  |
|
|
Xavier
Scientific Collaborator
    
France
12551 Posts |
Posted - 06/04/2013 : 21:49:01
|

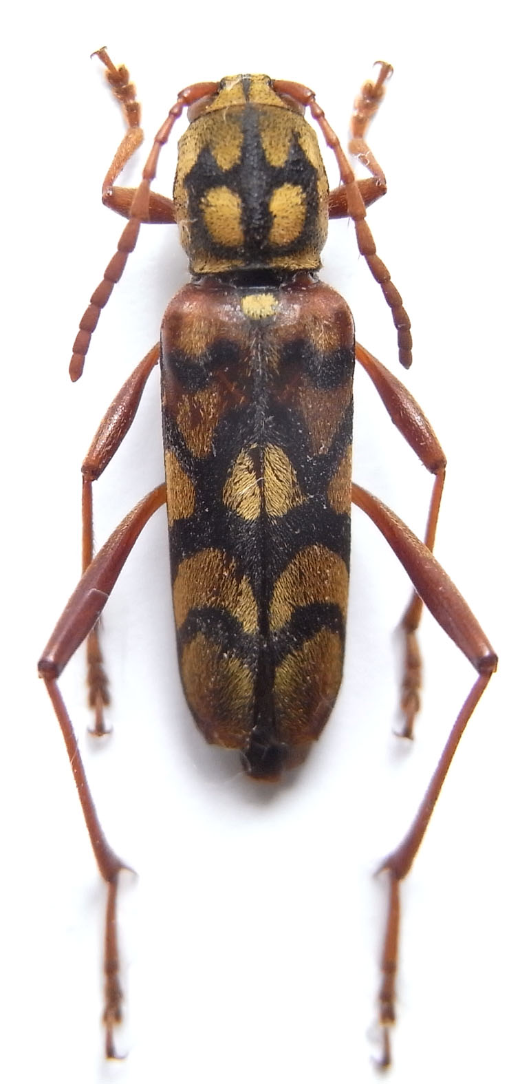
Length 12 mm. Xizang, Chayu. Zhuowagong, 2500 m. China. (Thanks Bi )
This species, and Nalsan's specimen should be Xylotrechus diversesignatus Pic, 1908.
Here the extract of Gressitt's key (Laos fauna, 1970):
Pronotum with yellow pubescent marked with a band and 2 stripes of black, forming spots anteriorly and lunules posteriorly; elytron reddish, pitchy in middle, with dense yellow pubescence with suture and 4 sinuate bands of black. 1st not reaching sutural stripes and 2nd and 3rd joined by a median stripe; length 12 mm (Yunnan, 1908,...)
and the link to the Type here. |
Edited by - Xavier on 11/10/2013 08:56:18 |
|
|
Francesco
Forum Admin
    
Luxembourg
9691 Posts |
Posted - 07/04/2013 : 11:38:57
|
| Merci Xavier... il faudra ajourner le topic. |
 |
|
|
nalslan
Member Purpuricenus
 
China
325 Posts |
|
|
Xavier
Scientific Collaborator
    
France
12551 Posts |
Posted - 08/04/2013 : 18:38:09
|
quote: By the way, Xizang is Tibet, it is not south China.
Thank you : I change my data paper!
For this species, I will try to find Pic's type next May or June in Paris. |
Edited by - Xavier on 08/04/2013 18:42:21 |
 |
|
|
nalslan
Member Purpuricenus
 
China
325 Posts |
Posted - 09/04/2013 : 09:14:12
|
quote: Originally posted by Xavier For this species, I will try to find Pic's type next May or June in Paris.
COOL! I am expecting it! I learned a lot from the type photos you posted, thank you and your friends very much for photographing and posting them. |
Edited by - nalslan on 09/04/2013 09:14:57 |
 |
|
|
Xavier
Scientific Collaborator
    
France
12551 Posts |
Posted - 09/04/2013 : 19:52:19
|
Thanks Nalslan ! I hope that more entomologist will share their pictures... |
 |
|
|
nalslan
Member Purpuricenus
 
China
325 Posts |
|
|
Xavier
Scientific Collaborator
    
France
12551 Posts |
Posted - 11/10/2013 : 17:51:56
|
Hi, Have you seen all types in the new section? I hope to add more pictures next month for our share pleasure! |
 |
|
|
nalslan
Member Purpuricenus
 
China
325 Posts |
Posted - 12/10/2013 : 06:33:28
|
Yes, I DID see them. There are so many types originated from China stored in MHNN and NHM, it is not easy for people like me in China to see them. But it gets easier now because of you. Many thanks to the platform provider, Francesco, and many other contributors as you, Xavier!
|
 |
|
| |
Topic  |
|