Cerambycoidea Forum
Cerambycoidea Forum
Home | Profile | Register | Active Topics | Members | Search | FAQ
Username:
Password:
Save Password
Forgot your Password?

 All Forums
 Cerambycidae Prioninae
 Aegosomatini
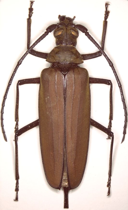
 Vietnam: Aegosoma sinicum ♀
 New Topic  Reply to Topic
 Send Topic to a Friend
 Printer Friendly
| More
Author Previous Topic Topic Next Topic  

Robert
Member Rosenbergia

Canada
1351 Posts

Posted - 22/04/2013 :  08:19:15  Show Profile  Email Poster  Reply with Quote

78.34 KB

Aegosoma sinicum ornaticolle?
Semble différent de celui-ci.

Edited by - Capitaine on 28/01/2016 14:04:03

Cuong Do
Member Purpuricenus

Vietnam
112 Posts

Posted - 15/06/2013 :  16:50:30  Show Profile  Email Poster  Send Cuong Do a Yahoo! Message  Reply with Quote
Where is the detail locality?
Go to Top of Page

Robert
Member Rosenbergia

Canada
1351 Posts

Posted - 18/07/2013 :  06:10:14  Show Profile  Email Poster  Reply with Quote
It is from Tam Dao, 20-V-1993
Go to Top of Page

Cuong Do
Member Purpuricenus

Vietnam
112 Posts

Posted - 23/07/2013 :  10:12:38  Show Profile  Email Poster  Send Cuong Do a Yahoo! Message  Reply with Quote
Thank you so much Robert
Go to Top of Page

Francesco
Forum Admin

Luxembourg
9674 Posts

Posted - 27/07/2013 :  10:34:27  Show Profile  Email Poster  Visit Francesco's Homepage  Reply with Quote
Il y a une année, Danilevsky a publié un'article sur cette espèce (avec une nouvelle espèce).
Tu peux la décharger ici, peut-être qu'elle te donne quelques indices...
Go to Top of Page

Robert
Member Rosenbergia

Canada
1351 Posts

Posted - 27/07/2013 :  15:50:00  Show Profile  Email Poster  Reply with Quote
Donc ce serait sinicum. Merci Francesco et Cuong Do!

Edited by - Robert on 27/07/2013 15:50:58
Go to Top of Page
  Previous Topic Topic Next Topic  
 New Topic  Reply to Topic
 Send Topic to a Friend
 Printer Friendly
| More
Jump To:
Cerambycoidea Forum © 2000-08 Snitz Communications Go To Top Of Page
Powered By: Snitz Forums 2000 Version 3.4.07