| nalslanMember Purpuricenus
 
   
 
                China320 Posts
 | 
                    
                      |  Posted - 20/07/2013 :  16:06:50       
 |  
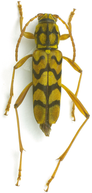
                      | I got them at the same site this year, altitude around 1200m. 
 I think the first one is X. diversesignatus (body length 13mm) though the 2nd and 3rd bands not connected completely (individual variation?), it reminds me two posts, here and here.
 
 
  151.44 KB
 
 The second one is X. polyzonus (body length 15mm).
 
 
  164.49 KB
 
 Any comment?
  |  
                      | Edited by - Xavier on 30/01/2016  19:17:33
 |  |