| Author |
Topic  |
|
|
Xavier
Scientific Collaborator
    
France
12549 Posts |
Posted - 23/10/2013 : 16:57:31
|

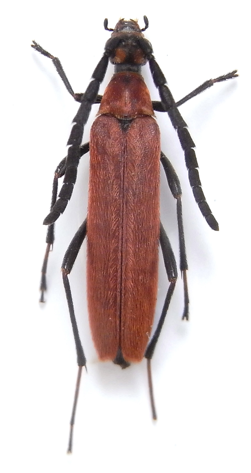
10 mm. Hua Phan, nord-est Laos. Du genre Ephies peut-être ?, mais je n'arrive à rien de concluant avec la révision de Villiers-Hayashi... |
Edited by - Xavier on 27/01/2016 00:01:58 |
|
|
Xavier
Scientific Collaborator
    
France
12549 Posts |
Posted - 25/10/2013 : 12:01:24
|
La description de Pseudoparanaspia thailandica Hayashi & Villiers, 1987 colle assez bien à mon spécimen. La femelle de l'autre espèce décrite de cette zone, Pseudoparanaspia necopinata Holzschuh, 2010, a une structure antennaire manifestement différente (11ème article beaucoup moins large que les précédents). Enfin, C. Holzschuh signale bien la présence de P. thailandica dans le Hua Phan, nord-est Laos. |
 |
|
|
Francesco
Forum Admin
    
Luxembourg
9674 Posts |
Posted - 25/10/2013 : 12:36:05
|
Très bien Xavier, merci pour la photo!  |
 |
|
|
Xavier
Scientific Collaborator
    
France
12549 Posts |
Posted - 25/10/2013 : 12:57:18
|
Dommage que cette bête soit si abimée ; à moi d'en trouver une autre au printemps  |
 |
|
|
Xavier
Scientific Collaborator
    
France
12549 Posts |
Posted - 25/10/2013 : 18:05:36
|
Le dernier segment antennaire de mon spécimen n'est finalement pas différent de celui de la photographie, comme je le croyais (mauvaise interprétation de ma part):
Je reviens donc sur ma première détermination à la lecture de la description de Pseudoparanaspia necopinata Holzschuh, 2010, gentiment traduite en français par Pierre . C. Holzschuh souligne pour P. necopinata "la côte parallèle à la suture qui délimite une zone de poils obliquement couchés vers l'arrière". Ces côtes sont bien visibles sur ma photographie, tout comme les poils. De plus, les joues de mon exemplaire sont bien brunes marquées de noir (c.f. description) Dans l'attente d'avoir un P. thailandica, je pense donc que mon spécimen est Pseudoparanaspia necopinata Holzschuh, 2010.
|
 |
|
| |
Topic  |
|