Cerambycoidea Forum
Cerambycoidea Forum
Home | Profile | Register | Active Topics | Members | Search | FAQ
Username:
Password:
Save Password
Forgot your Password?

 All Forums
 Cerambycidae Lepturinae
 Lepturini
 Guizhou, China: Anastrangalia scotodes?
 New Topic  Reply to Topic
 Send Topic to a Friend
 Printer Friendly
| More
Author Previous Topic Topic Next Topic  

nalslan
Member Purpuricenus

China
324 Posts

Posted - 21/11/2013 :  14:37:49  Show Profile  Email Poster  Reply with Quote
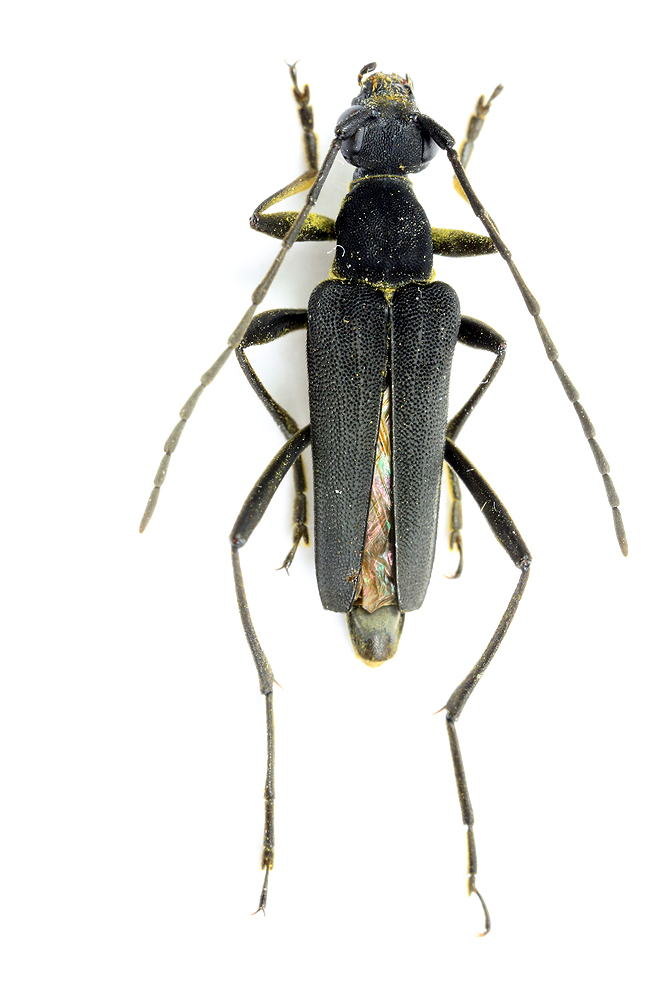
Black. The yellow on fore femur and tibia are pollens.

Maybe the all black Anastrangalia scotodes (Bates, 1873)?


275.79 KB

Edited by - Xavier on 27/01/2016 00:00:07

horshehden
Member Purpuricenus

Czech Republic
424 Posts

Posted - 23/11/2013 :  03:55:42  Show Profile  Email Poster  Reply with Quote
Must be A. dissimilis.
Go to Top of Page

nalslan
Member Purpuricenus

China
324 Posts

Posted - 23/11/2013 :  13:18:43  Show Profile  Email Poster  Reply with Quote
Thank you horshehden, could you tell me what features can make me tell A. scotodes distinctly from A. dissimilis? I had difficult to tell them and I leaned towards A. scotodes after a long time comparison.

quote:
Originally posted by horshehden

Must be A. dissimilis.

Go to Top of Page
  Previous Topic Topic Next Topic  
 New Topic  Reply to Topic
 Send Topic to a Friend
 Printer Friendly
| More
Jump To:
Cerambycoidea Forum © 2000-08 Snitz Communications Go To Top Of Page
Powered By: Snitz Forums 2000 Version 3.4.07