Cerambycoidea Forum
Cerambycoidea Forum
Home | Profile | Register | Active Topics | Members | Search | FAQ
Username:
Password:
Save Password
Forgot your Password?

 All Forums
 Cerambycidae Lamiinae
 Saperdini
 Vietnam: Obereopsis walshae infranigra
 New Topic  Reply to Topic
 Send Topic to a Friend
 Printer Friendly
| More
Author Previous Topic Topic Next Topic  

Max
Member Rosalia

Russia
746 Posts

Posted - 24/02/2014 :  20:20:14  Show Profile  Email Poster  Reply with Quote

283.01 KB

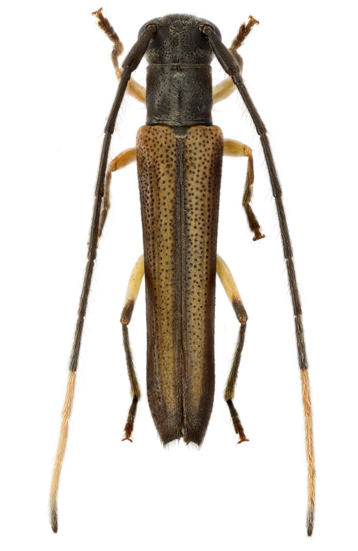
Small thing from Sa Pa region, N Vietnam.
Male, 9 mm.
For me is difficult to named even a genus

Edited by - Xavier on 28/01/2016 19:08:14

Xavier
Scientific Collaborator

France
12553 Posts

Posted - 24/02/2014 :  22:03:34  Show Profile  Email Poster  Reply with Quote
I have a similar specimen that I called Oberopsis burmanensis Breuning, 1957, by looking to the type picture from Bishop museum.
Go to Top of Page

Max
Member Rosalia

Russia
746 Posts

Posted - 25/02/2014 :  19:19:04  Show Profile  Email Poster  Reply with Quote
Thank you, Xavier!
Go to Top of Page

Francesco
Forum Admin

Luxembourg
9697 Posts

Posted - 11/02/2015 :  18:53:27  Show Profile  Email Poster  Visit Francesco's Homepage  Reply with Quote
No, it is Obereopsis walshae infranigra Breuning, 1968.
New for Vietnam.

Löbl & Smetana mentions this species as Obereopsis infranigra, without reasons.
Go to Top of Page
  Previous Topic Topic Next Topic  
 New Topic  Reply to Topic
 Send Topic to a Friend
 Printer Friendly
| More
Jump To:
Cerambycoidea Forum © 2000-08 Snitz Communications Go To Top Of Page
Powered By: Snitz Forums 2000 Version 3.4.07