| Author |  Topic  |  | 
              
                | XavierScientific Collaborator
 
      
 
                France12506 Posts
 | 
                    
                      |  Posted - 31/05/2014 :  11:05:57       
 |  
                      |   
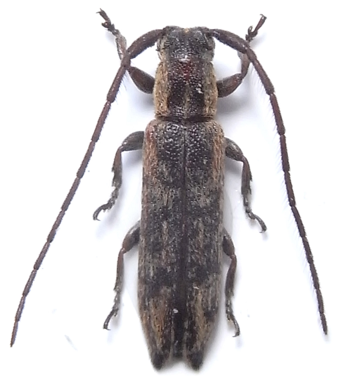
 7 mm. Nong Khiaw, Luang Prabang prov., north Laos.
 I think it's a Zorilispe sp. (Desmiphorini).
 2 species are known from this area : Zorilispe tonkinensis Breuning, 1956 and Zorilispe cambodgensis Breuning & Chûjô, 1968.
 To go further, I'm looking for this 2 papers ...
 
 BREUNING Stephan, 1956. Nouvelles formes de Lamiaires. (huitième partie). Bulletin de l'Institut Royal des Sciences Naturelles de Belgique, Bruxelles 32 (25): 1-23, 10 figs.
 
 BREUNING Stephan & CHÛJÔ Michio, 1968. Coleoptera from Southeast Asia (VI). 4. Famille Cerambycidae.Memoirs of the Faculty of Education Kagawa University 2 (161): 17-26.
 |  
                      | Edited by - Xavier on 10/06/2018  12:29:31
 |  | 
              
                | Jérôme SudreMember Rosenbergia
 
     
 
                France1794 Posts
 | 
                    
                      |  Posted - 01/06/2014 :  11:12:39       
 |  
                      | Bonjour 
 C'est curieux comme cette bête peut rappeler plus le genre Nyoma que le genre Zorilispe ce dernier reconnaissable par l'apex élytral tronqué et non étiré comme ici ou le genre Nyoma.
 Simple observation ! Cependant le genre Nyoma est plutôt mal défini
 |  
                      |  |  | 
              
                | XavierScientific Collaborator
 
      
 
                France12506 Posts
 | 
                    
                      |  Posted - 01/06/2014 :  11:21:09       
 |  
                      | Merci Jérôme pour cette remarque : toute nouvelle piste est à explorer ! |  
                      |  |  | 
              
                | XavierScientific Collaborator
 
      
 
                France12506 Posts
 | 
                    
                      |  Posted - 01/06/2014 :  11:23:26       
 |  
                      | Selon Titan, le genre Nyoma est exclusivement africain... |  
                      | Edited by - Xavier on 01/06/2014  11:23:47
 |  
                      |  |  | 
              
                | Jérôme SudreMember Rosenbergia
 
     
 
                France1794 Posts
 | 
                    
                      |  Posted - 01/06/2014 :  12:33:03       
 |  
                      | Justement cela me parait curieux car les Sophroniella sont des Nyoma (de mémoire !) Pterolophioides ressemble aussi au genre Nyoma mais est quand même différent.  Le genre Nyoma et ses espèces vont jusque dans la péninsule arabique cependant à mon avis et seulement mon avis le genre Zorilispe est quand même très caractéristique alors que Nyoma présente des espèces plutôt proteiformes et il me semble d'après la photo ci joint que Nyoma serait plus propice à se retrouver en Asie que le genre Zorilispe mais cela reste qu'un avis et une idée mais je pense que la piste serait à explorer ? Il y le Falsozorilispe de N Calédonie qui lui ressemble plus au genre Zorilispe africain que la photo ci joint ?  Comme quoi il reste du travail sur la planche.... Bref j'emets une idée voire un piste àexplorer qui est peut être complètement farfelue !
 |  
                      |  |  | 
              
                | XavierScientific Collaborator
 
      
 
                France12506 Posts
 | 
                    
                      |  Posted - 01/06/2014 :  12:55:14       
 |  
                      | Tu parles d'une photo "ci-joint" , peux-tu la mettre ? Cette discussion est intéressante, et je vais vraiment creuser cette piste...
 |  
                      |  |  | 
              
                | Jérôme SudreMember Rosenbergia
 
     
 
                France1794 Posts
 | 
                    
                      |  Posted - 01/06/2014 :  13:47:25       
 |  
                      | La photo ci joint c'est la tienne..... Je suis super mal équipé côté photo mais je vais essayer de faire cela dans la semaine. La bête en photo ressemble à Nyoma parallela ou fuscosignata mais comme je dis je suis peut être en train de me fourvoyer ! |  
                      |  |  | 
              
                | XavierScientific Collaborator
 
      
 
                France12506 Posts
 | 
                    
                      |  Posted - 02/06/2014 :  07:42:25       
 |  
                      | Une espèce à l'habitus assez proche, appartenant au genre Neosybra, est figurée dans la faune du Laos (1970). Mais ce sera difficile d'aller plus loin sans une bonne photo du type...
 |  
                      |  |  | 
              
                | XavierScientific Collaborator
 
      
 
                France12506 Posts
 | 
                    
                      |  Posted - 28/10/2014 :  14:52:51       
 |  
                      | Du genre Cylindilla possiblement |  
                      |  |  | 
              
                | XavierScientific Collaborator
 
      
 
                France12506 Posts
 | 
                    
                      |  Posted - 11/05/2015 :  07:53:14       
 |  
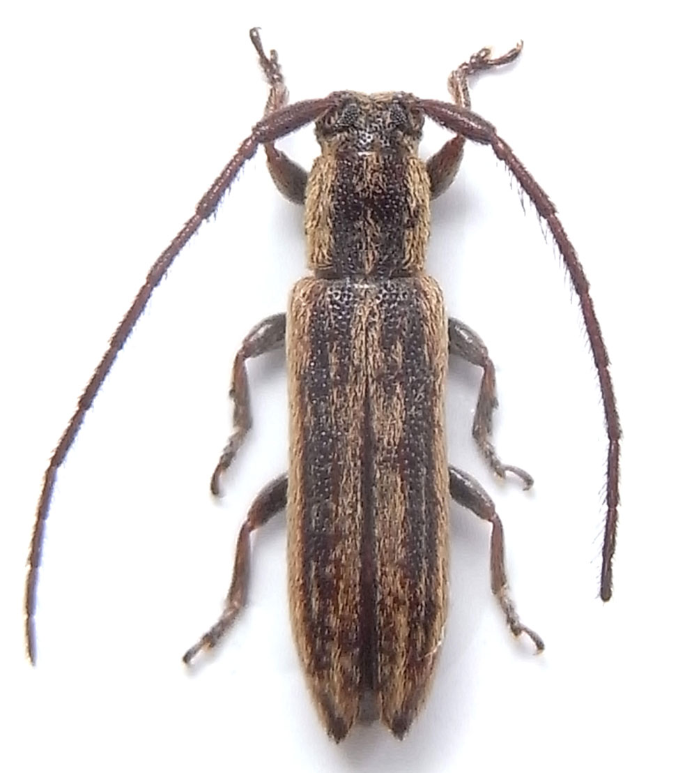
                      |  123.48 KB
 fig.10h, Gressitt & Rondon, 1970
 
 
  145.96 KB
 Luang Prabang prov., nord Laos, 6 mm.
 
 Faute de mieux, je nomme le premier spécimen  Neosybra cylindracea Breuning, 1940 dans ma collection. Le deuxième, je ne sais pas...
 |  
                      | Edited by - Xavier on 11/05/2015  07:54:59
 |  
                      |  |  | 
              
                | XavierScientific Collaborator
 
      
 
                France12506 Posts
 | 
                    
                      |  Posted - 10/06/2018 :  12:29:01       
 |  
                      |  208.88 KB
 Thailande(Phrae Prov.); nouvelle espèce pour ce pays.
 |  
                      |  |  | 
              
                |  |  Topic  |  |