Cerambycoidea Forum
Cerambycoidea Forum
Home | Profile | Register | Active Topics | Members | Search | FAQ
Username:
Password:
Save Password
Forgot your Password?

 All Forums
 Cerambycidae Lamiinae
 Saperdini
 Cameroon: Nupserha vitticollis
 New Topic  Reply to Topic
 Send Topic to a Friend
 Printer Friendly
| More
Author Previous Topic Topic Next Topic  

Larry Bezark
Member Macrodontia

USA
2643 Posts

Posted - 29/07/2014 :  22:12:12  Show Profile  Email Poster  Reply with Quote

58.49 KB

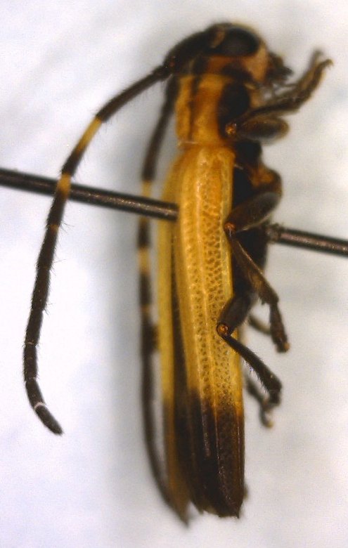
8.1 mm from Yaoundé, Cameroon.

Edited by - Xavier on 28/01/2016 18:40:28

Jérôme Sudre
Member Rosenbergia

France
1820 Posts

Posted - 31/07/2014 :  15:49:46  Show Profile  Email Poster  Reply with Quote
La je dirai Nupserha vitticollis Kolbe
Go to Top of Page

Xavier
Scientific Collaborator

France
12553 Posts

Posted - 31/07/2014 :  16:46:46  Show Profile  Email Poster  Reply with Quote
Nupserha vitticollis (Kolbe, 1893) to complete.
Go to Top of Page
  Previous Topic Topic Next Topic  
 New Topic  Reply to Topic
 Send Topic to a Friend
 Printer Friendly
| More
Jump To:
Cerambycoidea Forum © 2000-08 Snitz Communications Go To Top Of Page
Powered By: Snitz Forums 2000 Version 3.4.07