| Author |
Topic  |
|
|
nasa
Member Rosalia
  
China
971 Posts |
Posted - 03/09/2014 : 14:53:03
|
 66.67 KB
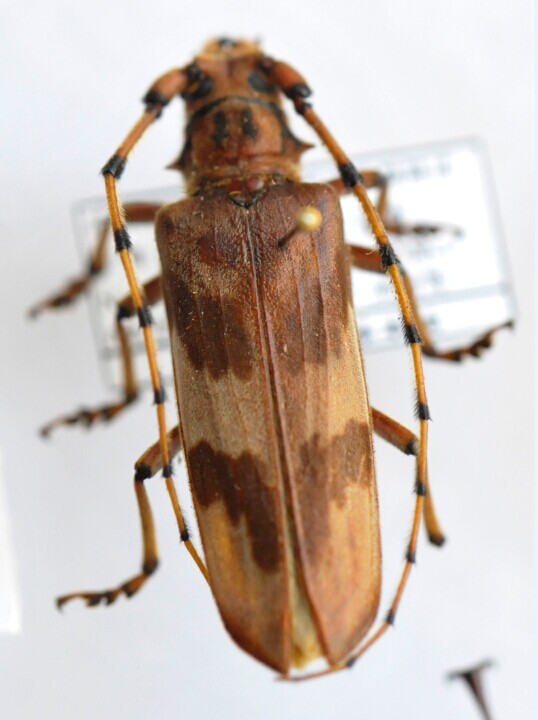
from Yunnan, China. close to Oplatocera (Epioplatocera) mandibulata Miwa & Mitono, 1935 |
Edited by - Capitaine on 31/01/2016 15:03:07 |
|
|
Gerard
Scientific Collaborator
    
France
5478 Posts |
Posted - 03/09/2014 : 17:31:43
|
Hello for me is Oplatocera (Epioplatocera) oberthuri Gahan, 1906. Oplatocera (Epioplatocera) mandibulata is endemic to Taiwan. |
 |
|
|
nasa
Member Rosalia
  
China
971 Posts |
Posted - 04/09/2014 : 12:59:28
|
Gerard, I don't think so. Oplatocera (Epioplatocera) oberthuri only has a big black spot on pronotum. |
 |
|
|
Gerard
Scientific Collaborator
    
France
5478 Posts |
Posted - 04/09/2014 : 18:04:13
|
Hello Nasa. Look here you will find the type. There are two macules on the thorax.
 179.66 KB Here are the beasts of the MNHN |
 |
|
|
nasa
Member Rosalia
  
China
971 Posts |
Posted - 05/09/2014 : 10:01:04
|
Gerard, thanks. I got the wrong determination from Hua et al.(2009).
|
Edited by - nasa on 05/09/2014 10:01:46 |
 |
|
|
Pierre
Member Rosenbergia
   
Switzerland
1811 Posts |
Posted - 02/09/2024 : 18:31:20
|
Hello Nasa, your specimen is certainly NOT oberthuri Gahan. I agree with your diagnosis by making a connexion with mandibulata Miwa & Mitono! As a fact, O. (Epioplatocera) mandibulata is not as endemic as usually admitted. I have on my desk series of specimen from Southern China like yours, but also from Vietnam and Laos, all belonging to this same item I am actually studying the genus and it could turn out to be a subspecies of mandibulata - to be confirmed. Do you have more or only this single female? I would be interested in knowing the exact data in order to include them in my study, please contact me: pierre.haller@greenmail.ch |
Edited by - Pierre on 02/09/2024 21:06:06 |
 |
|
|
Xaurus
Member Macrodontia
    
Germany
2009 Posts |
Posted - 15/09/2024 : 01:10:59
|
 
I have a male (?) from Nepal (behind pin = Pahud), 31mm, det. as oberthuri
|
Edited by - Xaurus on 15/09/2024 11:06:59 |
 |
|
|
Pierre
Member Rosenbergia
   
Switzerland
1811 Posts |
Posted - 15/09/2024 : 07:18:19
|
Hmmm... thank you Andreas!! Interesting specimen collected in the future. I can not read the letters behind the pin ... |
 |
|
|
Xaurus
Member Macrodontia
    
Germany
2009 Posts |
Posted - 15/09/2024 : 11:18:53
|
 
noch 1 Ex. aus West-Nepal von Deinem Landsmann (Christian Monnerat) am Licht gesammelt, zu unserer gemeinsamen Reise 2017: NEPAL - Mahakali/Darchula vic. Deuli village, 2400m, N29°48'45", E80°47'0", 27.-29.VI.2017, by light leg. C.Monnerat et al., KL NEP17-15 |
 |
|
|
Xavier
Scientific Collaborator
    
France
12548 Posts |
Posted - 15/09/2024 : 15:15:14
|
 410.11 KB Mes spécimens du Laos. Sans doute rien d'intéressant pour toi, Pierre ? |
 |
|
|
Pierre
Member Rosenbergia
   
Switzerland
1811 Posts |
Posted - 15/09/2024 : 17:58:54
|
quote: Originally posted by Xaurus

Excellent. An authentic oberthuri. Thank you !! |
 |
|
| |
Topic  |
|