| Author |
Topic  |
|
|
Alastor
Member Purpuricenus
 
France
332 Posts |
Posted - 25/09/2014 : 12:25:19
|
 232.65 KB
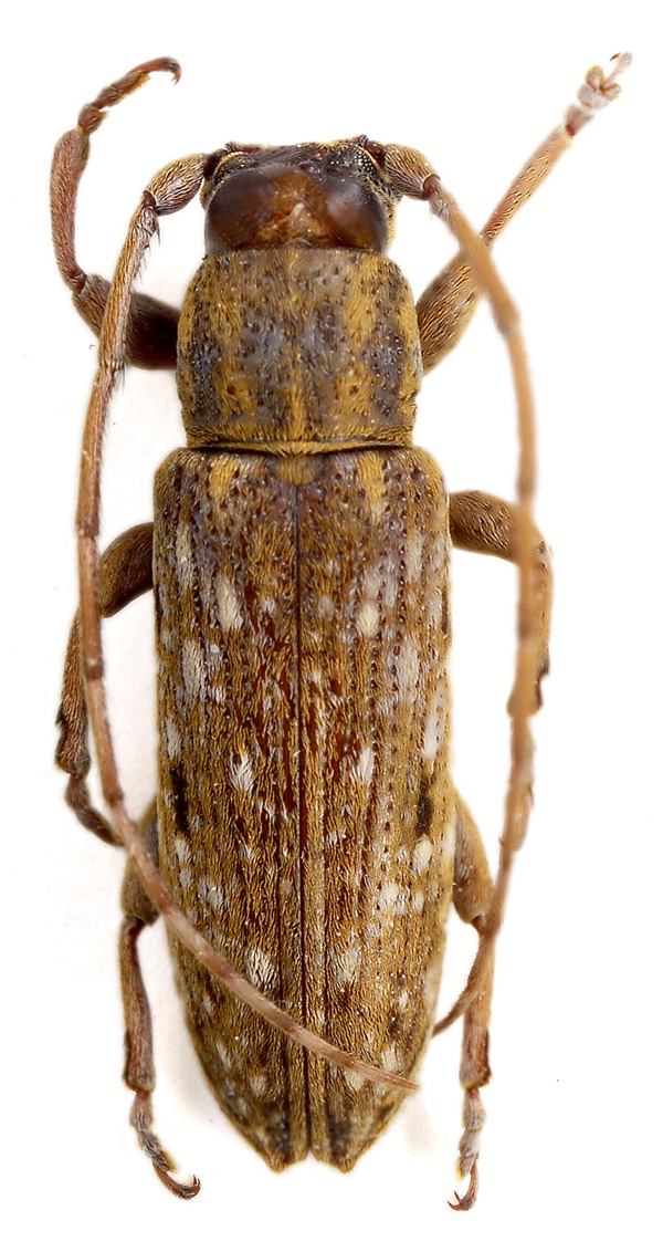
Mindanao - 07/2013 Long. 9 mm |
|
|
Francesco
Forum Admin
    
Luxembourg
9697 Posts |
Posted - 25/09/2014 : 19:06:53
|
Evidemment une Sybra...on attend Andre et Xaurus  |
 |
|
|
Andre
Member Rosenbergia
   
Germany
1750 Posts |
Posted - 26/09/2014 : 14:19:52
|
Sybra mindoroensis Aurivillius, 1927 A member of the Sybra alternans group. Normally is the black middle spot bigger and the fourth interstices is yellow. But i think is it normally variations. |
 |
|
|
Alastor
Member Purpuricenus
 
France
332 Posts |
Posted - 26/09/2014 : 14:36:32
|
| Merci André |
 |
|
|
Xaurus
Member Macrodontia
    
Germany
2019 Posts |
Posted - 28/09/2014 : 23:28:23
|
Yes, I agree, you can find the Type here.
There is more material from this maybe rare and interesting sps available ? |
 |
|
|
Alastor
Member Purpuricenus
 
France
332 Posts |
Posted - 29/09/2014 : 13:01:05
|
| Alas no, it is the only individual that I have ! |
 |
|
|
Alastor
Member Purpuricenus
 
France
332 Posts |
Posted - 30/09/2014 : 13:32:14
|
Je viens de voir que la désignation originale faite par Aurivillius serait mindorensis et non mindoroensis. Est-ce exact et, dans l'affirmative, qu'est-ce qui a justifié la modification ? |
 |
|
|
Francesco
Forum Admin
    
Luxembourg
9697 Posts |
Posted - 30/09/2014 : 17:36:30
|
Rien justifie une "emendation", au moins qu'elle soit publiée dans l'errata corrige du même volume (comme par exemple Morimus pour Morinus). ou si on n'avait pas respecté la déclination latine correcte. Je vais corriger le titre... d’ailleurs BioLib signalait juste mindorensis. (S. mindoroensis est un faute de Breuning). |
 |
|
|
Alastor
Member Purpuricenus
 
France
332 Posts |
Posted - 01/10/2014 : 10:53:17
|
| Ha, très bien, c'est ce qu'il me semblait, je ne comprenais pas la différence, merci |
 |
|
| |
Topic  |
|