| Author |
Topic  |
|
|
Sergi
Member Rosenbergia
   
Spain
1793 Posts |
Posted - 28/01/2015 : 13:09:44
|
 
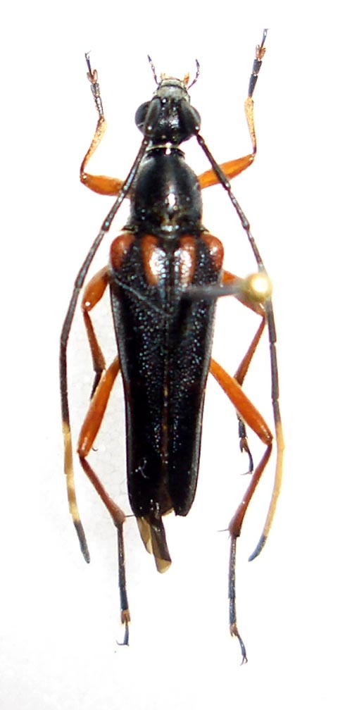
From China, Fujian. Size: 13 mm |
Edited by - Xavier on 28/01/2015 20:37:14 |
|
|
Xavier
Scientific Collaborator
    
France
12551 Posts |
Posted - 28/01/2015 : 20:29:29
|
| Same species than here, I think. No clear id for me. |
Edited by - Xavier on 28/01/2015 20:36:48 |
 |
|
|
Vitali
Member Rosenbergia
   
Estonia
1018 Posts |
Posted - 31/01/2015 : 11:53:30
|
| Pronotum seems different. This beetle has it longer, smooth and shiny, the other has it shorter, more rounded (with low bumps on sides?) and with some surface structure (difficult to say with this photo). Gressitt uses the shape of pronotum to distinguish S. yamasakii from S. basiplicata in his "Cer. of China". |
 |
|
|
horshehden
Member Purpuricenus
 
Czech Republic
424 Posts |
Posted - 31/01/2015 : 12:31:16
|
No, both have the same type of pronotum and belongs to Japanostrangalia. Gressitt is right - yamasakii has different shape and is the only representative of Sinostrangalis. |
 |
|
|
nasa
Member Rosalia
  
China
972 Posts |
Posted - 31/01/2015 : 14:09:19
|
quote: Originally posted by horshehden
No, both have the same type of pronotum and belongs to Japanostrangalia. Gressitt is right - yamasakii has different shape and is the only representative of Sinostrangalis.
Tomas, you are right! Please refer to Chou W-I, Ohbayashi N. 2007 Notes on the Genera Sinostrangalis and Metastrangalis (Coleoptera, Cerambycidae) [Studies on the Taiwanese Lepturinae, I]. Japanese Journal of systematic entomology. 13 (2): 225-240. |
Edited by - nasa on 31/01/2015 14:09:44 |
 |
|
| |
Topic  |
|