| Author |
Topic  |
|
|
Xavier
Scientific Collaborator
    
France
12551 Posts |
Posted - 29/01/2015 : 17:23:45
|
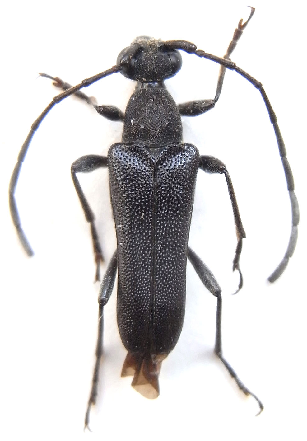
9,5 mm. Puli, Wushe, (north-east Nantou County), Taiwan.
Anoplodera (Anoploderomorpha) densepunctata (Hayashi & Villiers, 1994) or Anoplodera (Anoploderomorpha) formosana (Matsushita, 1933) ?
Very dense punctation and shining elytra, small size... A. densepunctata ? but far from the typical locality which is in the southern Taiwan |
Edited by - Xavier on 29/01/2015 18:27:04 |
|
|
Vitali
Member Rosenbergia
   
Estonia
1018 Posts |
Posted - 29/01/2015 : 18:17:12
|
The name "densepunctata" was referring mainly to the punctation of pronotum. This beetle seems to be similar to the one in my old ad and I think this is also A. formosana. It would be interesting to see at least one true A. densepunctata. The type is in Taiwan? |
 |
|
|
Xavier
Scientific Collaborator
    
France
12551 Posts |
Posted - 29/01/2015 : 18:22:14
|
quote: The type is in Taiwan?
Yes, it is...
|
 |
|
|
Xavier
Scientific Collaborator
    
France
12551 Posts |
Posted - 29/01/2015 : 18:28:39
|
| Thanks Vitali, I keep A. formosana for now |
 |
|
|
Vitali
Member Rosenbergia
   
Estonia
1018 Posts |
Posted - 29/01/2015 : 18:33:53
|
| Just because of curiosity... Can you carefully measure the ratio length/width of elytra? |
 |
|
|
Xavier
Scientific Collaborator
    
France
12551 Posts |
Posted - 29/01/2015 : 18:52:33
|
Elytra are "exactly" 2,37 times longer than broad. ...just between A.formosana (2,25 X) and A.densepunctata (2,55 X )  |
Edited by - Xavier on 29/01/2015 19:09:19 |
 |
|
|
Vitali
Member Rosenbergia
   
Estonia
1018 Posts |
Posted - 30/01/2015 : 08:53:08
|
| Cauchemar... and I guess males and females have this ratio different. Sergi's beetle is probably male. |
 |
|
| |
Topic  |
|