Cerambycoidea Forum
Cerambycoidea Forum
Home | Profile | Register | Active Topics | Members | Search | FAQ
Username:
Password:
Save Password
Forgot your Password?

 All Forums
 Cerambycidae Cerambycinae
 Callichromatini
 India, Pachyteria calumniata
 New Topic  Reply to Topic
 Send Topic to a Friend
 Printer Friendly
| More
Author Previous Topic Topic Next Topic  

sangamesh
Member Purpuricenus

India
426 Posts

Posted - 09/02/2015 :  12:01:01  Show Profile  Email Poster  Reply with Quote

212.41 KB

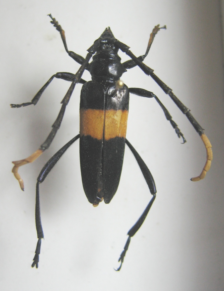
28mm...Karnataka, Madikere...Pachyteria calumniata?


225.94 KB

30mm...Karnataka, Madikere...Pachyteria calumniata?

Edited by - Gerard on 30/01/2016 15:28:40

Joan
Member Nathrius

Spain
18 Posts

Posted - 09/02/2015 :  17:53:57  Show Profile  Email Poster  Reply with Quote
Yes, it seem P. calumniata.
Go to Top of Page

Xavier
Scientific Collaborator

France
12533 Posts

Posted - 09/02/2015 :  18:44:59  Show Profile  Email Poster  Reply with Quote
Thanks Joan , Pachyteria calumniata Ritsema, 1890 to complete the topic.
Go to Top of Page

sangamesh
Member Purpuricenus

India
426 Posts

Posted - 09/02/2015 :  19:12:16  Show Profile  Email Poster  Reply with Quote
Thank you both
Go to Top of Page
  Previous Topic Topic Next Topic  
 New Topic  Reply to Topic
 Send Topic to a Friend
 Printer Friendly
| More
Jump To:
Cerambycoidea Forum © 2000-08 Snitz Communications Go To Top Of Page
Powered By: Snitz Forums 2000 Version 3.4.07