Cerambycoidea Forum
Cerambycoidea Forum
Home | Profile | Register | Active Topics | Members | Search | FAQ
Username:
Password:
Save Password
Forgot your Password?

 All Forums
 Cerambycidae Lamiinae
 Saperdini
 Malaysia: Glenea (s. str.) fatalis
 New Topic  Reply to Topic
 Send Topic to a Friend
 Printer Friendly
| More
Author Previous Topic Topic Next Topic  

Sergi
Member Rosenbergia

Spain
1793 Posts

Posted - 06/04/2015 :  12:17:11  Show Profile  Email Poster  Reply with Quote



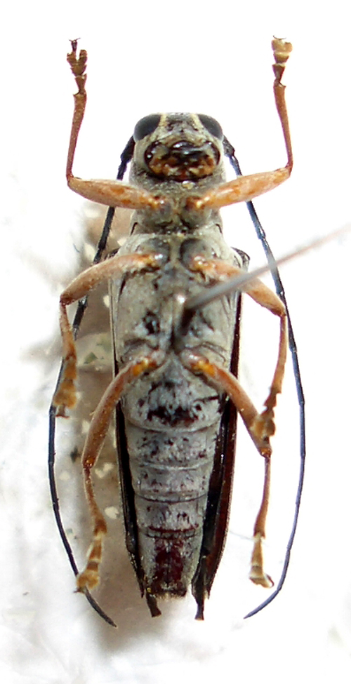
From Malaysia, Cameron Higlands.
Size: 13 mm
Glenea sp. Maybe the female of the other post???

Edited by - Xavier on 27/01/2016 10:37:57

Beckey
Member Rosalia

Japan
579 Posts

Posted - 06/04/2015 :  23:37:03  Show Profile  Email Poster  Reply with Quote
This is a male in my collection.

Another species.


42.25 KB
Go to Top of Page

Sergi
Member Rosenbergia

Spain
1793 Posts

Posted - 07/04/2015 :  09:09:06  Show Profile  Email Poster  Reply with Quote
Ok, I thought that these two specimens were male and female, and in your specimens I can see the differences!!
Any idea of the species??
Go to Top of Page

Gerard
Scientific Collaborator

France
5494 Posts

Posted - 07/04/2015 :  17:55:53  Show Profile  Email Poster  Reply with Quote
Bonjour c'est Glenea fatalis Pascoe, 1867
Go to Top of Page

Sergi
Member Rosenbergia

Spain
1793 Posts

Posted - 07/04/2015 :  18:04:13  Show Profile  Email Poster  Reply with Quote
Thank you Gerard!!
Have you any idea with the other similar specimen of my other post?
Go to Top of Page

Sergi
Member Rosenbergia

Spain
1793 Posts

Posted - 08/04/2015 :  19:18:09  Show Profile  Email Poster  Reply with Quote
Gerard, have you the type picture of this species??? Thank you!
Go to Top of Page

Gerard
Scientific Collaborator

France
5494 Posts

Posted - 08/04/2015 :  19:29:59  Show Profile  Email Poster  Reply with Quote
Voila, la photo n'est pas très belle.


87.08 KB

Holotype Glenea biapicalis Thomson, 1879 = Glenea fatalis Pascoe, 1867

Edited by - Gerard on 08/04/2015 19:34:02
Go to Top of Page

Sergi
Member Rosenbergia

Spain
1793 Posts

Posted - 08/04/2015 :  21:47:46  Show Profile  Email Poster  Reply with Quote
OOOh!! Thank you very much Gerard!!
Go to Top of Page
  Previous Topic Topic Next Topic  
 New Topic  Reply to Topic
 Send Topic to a Friend
 Printer Friendly
| More
Jump To:
Cerambycoidea Forum © 2000-08 Snitz Communications Go To Top Of Page
Powered By: Snitz Forums 2000 Version 3.4.07