| Author |
Topic  |
|
|
Xavier
Scientific Collaborator
    
France
12553 Posts |
Posted - 25/01/2016 : 17:52:26
|
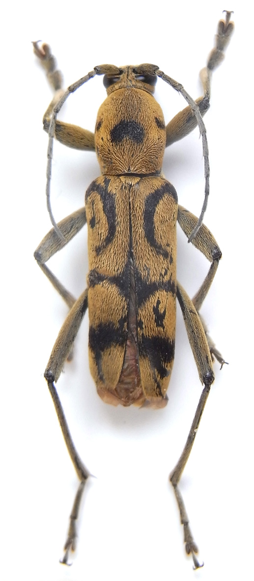
 164.68 KB 14 mm. Motuo, Tibet, Chine.
Il s'agit de Chlorophorus semisinuatus Pic, 1949 dont l'holotype du MNHN est visible ici. Mais curieusement, cette espèce est absente de Titan et de Biolib. Elle doit avoir été décrite dans PIC M.,1949. Nouveaux Coléoptères exotiques et notes diverses. Miscellanea Entomologica, Narbonne 46: 49-55. Quelqu'un aurait-il cette publication ? |
Edited by - Xavier on 30/12/2016 16:19:37 |
|
|
Xavier
Scientific Collaborator
    
France
12553 Posts |
Posted - 03/11/2016 : 11:16:46
|
 177.75 KB Voici ce que je lis sur les étiquettes: 1. Darjeeling, Juni (= juin), Fruhstorfer leg 2. semisinuatus mihi 3. un analogue de Br. (= British) Bootang in coll. Lepesme 4.type
Je n'ai pas encore pu vérifier si cette espèce a vraiment été décrite dans la publication citée au dessus. Je trouve des traces de ce " Chlorophorus semisinuatus" sur internet, mais sans indication de synonymie. En rassemblant les données , la répartition de cette espèce donne: Darjeeling (Pic), Bhoutan (Lepesme), Tibet |
Edited by - Xavier on 03/11/2016 11:22:26 |
 |
|
|
Xavier
Scientific Collaborator
    
France
12553 Posts |
Posted - 03/11/2016 : 12:21:29
|
La réponse à cette enquête est peut-être ici :
 HOLZSCHUH C., 1982. Neue Bockkäfer aus Asien, vorwiegend aus dem Himalaya (Col., Cerambycidae).Koleopterologische Rundschau, Wien 56: 147-157

1. Darjeeling (Spécimen de Pic) 2. Tibet 3. fig.7 Chlorophorus alni Holzs., Uttaranchal (Uttarkashi District)
L' Uttaranchal (Uttarakhand), est situé au nord-ouest du Népal, dans la chaîne himalayenne. La forme du thorax; la 2ème bande élytrale élargie à la suture, remontant et descendant le long de celle-ci,(...) me font penser qu'il s'agit probablement de la même espèce, Chl. alni Holsch |
Edited by - Xavier on 03/11/2016 12:36:09 |
 |
|
|
Xavier
Scientific Collaborator
    
France
12553 Posts |
Posted - 30/11/2016 : 16:51:06
|
Holzschuh compare C. alni à C. arciferus Chevr. ; avec les documents ajoutés ici, je commence à penser que mon spécimen devrait en effet être Chlorophorus arciferus (Chevrolat, 1893)
|
Edited by - Xavier on 30/11/2016 17:38:56 |
 |
|
|
Xaurus
Member Macrodontia
    
Germany
2019 Posts |
Posted - 13/12/2016 : 01:01:10
|
| yes Xavier, your sps looks really like C. arciferus, the middle and hind femurs should have no carina at the inner sides, and the male genital is remarkable, with very long parameres. |
 |
|
|
Xavier
Scientific Collaborator
    
France
12553 Posts |
Posted - 13/12/2016 : 10:12:01
|
quote: Originally posted by Xaurus
yes Xavier, your sps looks really like C. arciferus, the middle and hind femurs should have no carina at the inner sides, and the male genital is remarkable, with very long parameres.
Dear Andreas, . How do you know this specimen looks like C. arciferus Chev.? Have you seen the holotype (if it still exists)? I never found at MNHN Amauraesthes arciferus Chevrolat, 1863 (unique type from collection J. Thomson / MNHN), Clytanthus varius v. Pieli Pic, 1924 or Clytanthus verbasci v. rectefasciatus Pic, 1937. Strange, but the missing types do not seem a problem for everyone... . My specimen has carina! Chevrolat said nothing about carina, Gahan did (I published both descriptions on the other post). I do not know who is right. Have you seen the type for checking this feature?
. How do you know remarkable parameres of C. arciferus whereas no one can show the type?
. The 3 specimens from MNHN and mine (one hundred years later!) are exactly the same, with a remarkable drawing in "cross". Unlike other Chlorophorus species, it is a very stable species. That why it should be interesting to compare parameres of C. alni Holzschuh to this species: they wear the same cross on back !... |
Edited by - Xavier on 13/12/2016 11:06:11 |
 |
|
|
Xaurus
Member Macrodontia
    
Germany
2019 Posts |
Posted - 14/12/2016 : 00:56:51
|
I have C. arciferus from coll. C. Holzschuh from Nepal but I don't know if he has seen the type. This spm has no femur carina. C. alni I haven't, its really interesting to see the male genitals in comparison to C. arciferus, otherwise the morphological differentiation seems obtuse. |
 |
|
|
Xavier
Scientific Collaborator
    
France
12553 Posts |
Posted - 14/12/2016 : 08:45:00
|
| Why don't you show us your C. arciferus from Nepal ? |
 |
|
|
Xaurus
Member Macrodontia
    
Germany
2019 Posts |
Posted - 15/12/2016 : 00:46:29
|
| I'll make a picture later, at home I have no acc. equipment |
 |
|
| |
Topic  |
|