Cerambycoidea Forum
Cerambycoidea Forum
Home | Profile | Register | Active Topics | Members | Search | FAQ
Username:
Password:
Save Password
Forgot your Password?

 All Forums
 Cerambycidae Cerambycinae
 Xystrocerini
 Afrique du Sud, Xystrocera erosa
 New Topic  Reply to Topic
 Send Topic to a Friend
 Printer Friendly
| More
Author Previous Topic Topic Next Topic  

Pierre
Member Rosenbergia

Switzerland
1842 Posts

Posted - 01/02/2016 :  14:37:00  Show Profile  Email Poster  Reply with Quote

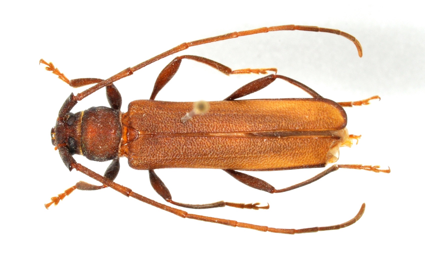
294.16 KB

Afrique du Sud, Eastern Cape. 15 mm.
Cette bête me rappelle le poste de Pierre-Olivier au sujet de X. erosa (et les questions qui vont avec concernant X. natalensis). Groupe 1 donc.

Pierre-Olivier Maquart
Member Rosalia

United Kingdom
785 Posts

Posted - 16/12/2016 :  12:17:32  Show Profile  Email Poster  Reply with Quote
Petit up
Go to Top of Page

Francesco
Forum Admin

Luxembourg
9697 Posts

Posted - 23/02/2017 :  21:27:14  Show Profile  Email Poster  Visit Francesco's Homepage  Reply with Quote
C'est une femelle d'erosa, jusqu’à quelqu'un regarda les types.
Go to Top of Page
  Previous Topic Topic Next Topic  
 New Topic  Reply to Topic
 Send Topic to a Friend
 Printer Friendly
| More
Jump To:
Cerambycoidea Forum © 2000-08 Snitz Communications Go To Top Of Page
Powered By: Snitz Forums 2000 Version 3.4.07