| Author |
Topic  |
|
|
Xavier
Scientific Collaborator
    
France
12553 Posts |
Posted - 16/02/2016 : 14:34:19
|
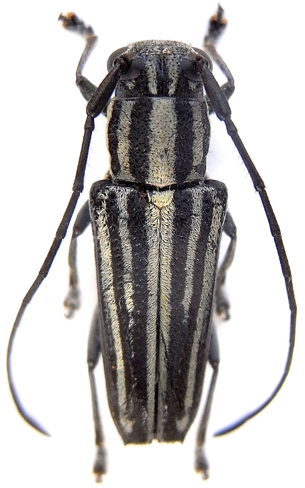
 144.71 KB
12 mm. Santa Ana, Cagayan, Luzon, Philippines. Je ne connais pas cette Glenea sp. |
Edited by - Xavier on 16/02/2016 17:32:41 |
|
|
Vitali
Member Rosenbergia
   
Estonia
1022 Posts |
Posted - 16/02/2016 : 14:45:12
|
| Hi, Xavier. Does it have a longitudinal ridge on scape? I cannot see this from the photo. |
 |
|
|
Xavier
Scientific Collaborator
    
France
12553 Posts |
Posted - 16/02/2016 : 16:10:52
|
 69.08 KB
Hello Vitali, Yes, a thin one, on extern face. |
 |
|
|
Vitali
Member Rosenbergia
   
Estonia
1022 Posts |
Posted - 16/02/2016 : 17:19:43
|
Then, it might be Glenea (Brunneoglenea) salwattyana Breuning, 1966. But you need to check. I did not see this species myself. |
 |
|
|
Xavier
Scientific Collaborator
    
France
12553 Posts |
Posted - 16/02/2016 : 17:22:13
|
Thanks a lot , I will check it, and tell you more. |
 |
|
|
Xavier
Scientific Collaborator
    
France
12553 Posts |
Posted - 16/02/2016 : 17:32:18
|
Description is in BREUNING S., 1966.Neue Cerambyciden aus den Sammlungen des zoologischen Museums der Humboldt-Universität zu Berlin., but ...I have not this paper  |
 |
|
|
Vitali
Member Rosenbergia
   
Estonia
1022 Posts |
Posted - 16/02/2016 : 17:56:10
|
Neither me. I cannot find Salwatty island. Seems to be an old name. But the island itself has to be somewhere near Papua New Guinea. |
 |
|
|
Francesco
Forum Admin
    
Luxembourg
9694 Posts |
Posted - 16/02/2016 : 17:58:29
|
| Salwatty is Salawati, Western coast of West Papua. |
 |
|
| |
Topic  |
|