|
znort
Member Rosalia
  
France
511 Posts |
Posted - 04/08/2017 : 12:18:13
|
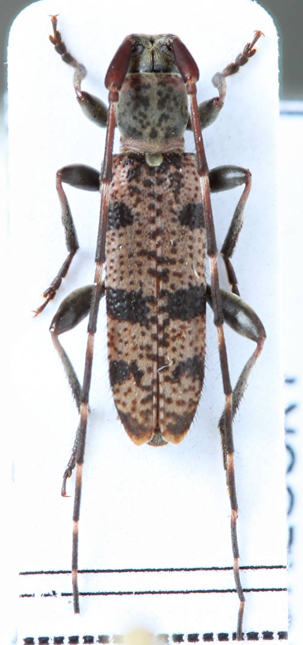
 75.39 KB
Rondibilis horiensis hongshanus Gressitt, 1937 Collected in Zhejiang at the begining of june. A common species here by swamping.
|
Chinese Cerambycidae |
Edited by - Xavier on 06/03/2018 10:10:47 |
|