|
znort
Member Rosalia
  
France
511 Posts |
Posted - 03/08/2018 : 14:55:39
|
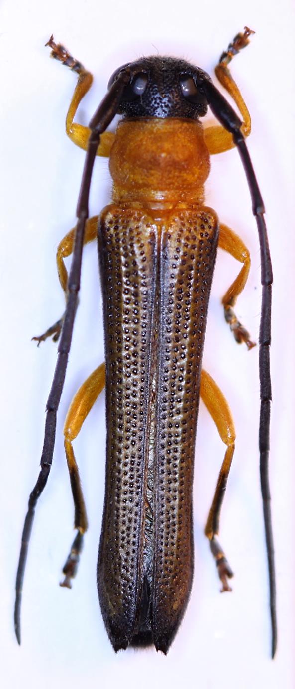
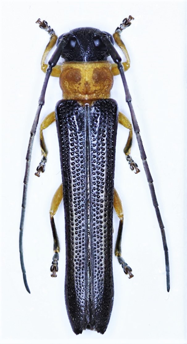
Je joins plusieurs photos de ce taxon trouvé sur deux localités dans le Zhejiang mais qui semble très variable. Sur les 6 ou 7 exemplaires, aucun ne colle réellement à la forme typique mais hormis des critères de coloration secondaires, je ne vois pas de différences notoires. Si quelqu'un a une autre idée pour la détermination de cette Oberea elle est la bienvenue.
Un premier spécimen qui répond à la variété atronanalis de Fairmaire, 1895
 
Un second spécimen qui hormis le metasternum assombri colle en tout point avec Oberea latipennis de Gressitt qui a été mise en synonymie avec walkeri par Breuning. Cette synonymie semble avoir été oubliée depuis car le taxon est toujours considéré comme valide suivant Titan et le Lobl & Smetana.
 
Je finis avec quelques photos du biotope avec pour commencer un bosquet ou hormis ce taxon il a été trouvé Anasthates parva, Oberea formosana, Oberea pseudoformosana et Oberea uninotaticollis.
 426.03 KB
 315.94 KB
Reste à Gérard de poster une troisième forme qui répond à la variété atrosternalis de Breuning, 1962 mais avec en plus les sternites 2&3 assombris.
Il me semble bien que nous ayons à faire à un seul taxon très variable. |
Chinese Cerambycidae |
Edited by - znort on 03/08/2018 15:01:42 |
|