Cerambycoidea Forum
Cerambycoidea Forum
Home | Profile | Register | Active Topics | Members | Search | FAQ
Username:
Password:
Save Password
Forgot your Password?

 All Forums
 Cerambycidae Cerambycinae
 Cerambycini
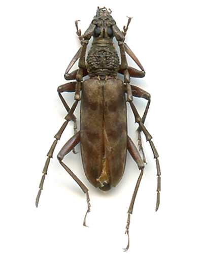
 Kalimantan: Hoplocerambyx spinicornis
 New Topic  Reply to Topic
 Send Topic to a Friend
 Printer Friendly
| More
Author Previous Topic Topic Next Topic  

L. Hart
Member Purpuricenus

United Kingdom
425 Posts

Posted - 02/09/2018 :  16:37:40  Show Profile  Email Poster  Visit L. Hart's Homepage  Reply with Quote


From Kalimantan
approx 22/23 mm

Edited by - Gerard on 02/09/2018 17:58:24

Gerard
Scientific Collaborator

France
5489 Posts

Posted - 02/09/2018 :  17:57:55  Show Profile  Email Poster  Reply with Quote
Bonjour Hoplocerambyx spinicornis (Newman, 1842)
Go to Top of Page
  Previous Topic Topic Next Topic  
 New Topic  Reply to Topic
 Send Topic to a Friend
 Printer Friendly
| More
Jump To:
Cerambycoidea Forum © 2000-08 Snitz Communications Go To Top Of Page
Powered By: Snitz Forums 2000 Version 3.4.07