| Author |
Topic  |
|
|
Xavier
Scientific Collaborator
    
France
12553 Posts |
Posted - 07/10/2018 : 10:52:20
|
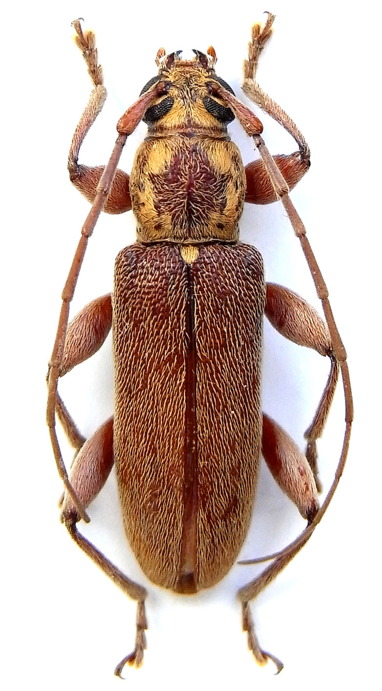
 273.91 KB 12 mm, female, Sri Lanka. Ceresium unicolor (Fabricius, 1787) ? or another species ? |
Edited by - Xavier on 21/10/2025 09:34:52 |
|
|
Capitaine
Scientific Collaborator
   
France
1850 Posts |
Posted - 07/10/2018 : 15:42:26
|
Bonjour Xavier, je pense qu'il est différent d'unicolor qui est plutôt du côté Pacifique (N.Z. / Japon / Tahiti / Samoa / N. caled. etc..) le problème c'est qu'il y a plus de 150 espèces dans le genre !  |
Claude |
 |
|
|
Xavier
Scientific Collaborator
    
France
12553 Posts |
Posted - 07/10/2018 : 17:20:43
|
Bonjour, J'ai rassemblé un bon paquet de photographies d'holotypes du genre, et je ne trouve rien de ressemblant avec un tel dessin sur le pronotum; je continue à chercher...L'espère la plus proche, parmi celles présentes au Sri Lanka, me semble Ceresium flavipes (Fabricius, 1793), comme celui-ci ( Fidji ). |
Edited by - Xavier on 07/10/2018 17:37:03 |
 |
|
|
Capitaine
Scientific Collaborator
   
France
1850 Posts |
Posted - 08/10/2018 : 12:11:37
|
| Oui, j'ai un ex. de flavipes qui ressemble mais le dessin du pronotum reste différent. D'après Titan il y aurait 5 espèces présentes au Sri Lanka et je n'ai jamais vu zeylanicum. Connais-tu le type ? |
Claude |
 |
|
|
Xavier
Scientific Collaborator
    
France
12553 Posts |
Posted - 08/10/2018 : 22:35:36
|
| Je ne connais pas le type de Ceresium zeylanicum White, 1855, mais tous les auteurs que j'ai consultés (Gressitt, 1970; Hüdepohl, 1990; Yokoi, 2015; ...) présentent la même espèce au pronotum plus allongé que mon spécimen, à la pilosité blanche enserrant une zone glabre plus étroite. Je ne pense pas que ce soit celle-ci. |
 |
|
|
Francesco
Forum Admin
    
Luxembourg
9697 Posts |
Posted - 09/10/2018 : 08:41:06
|
Ici il y a toujours le problème de C. flavipes et C. unicolor, les deux décrits par Fabricius, souvent considérés synonymes et dont personne a jamais vérifié l'identité.
C. flavipes a été signalé pour Ceylan par Gahan (1906: 162 sub simplex). |
 |
|
|
Xavier
Scientific Collaborator
    
France
12553 Posts |
Posted - 21/10/2018 : 16:33:57
|
| J'en reste à Ceresium sp. cf Ceresium unicolor (Fabricius, 1787). La ressemblance est grande avec l'holotype ici, et cette "sous-espèce" des îles Marchall (notamment les 2 points dénudés près de la base du pronotum) |
Edited by - Xavier on 21/10/2018 16:47:49 |
 |
|
|
Xavier
Scientific Collaborator
    
France
12553 Posts |
Posted - 25/08/2024 : 19:33:25
|
J'ajoute ici des photos:
 474.38 KB Ce spécimen est très proche de celui de Francesco, ici. Avec la pilosité du pronotum plus importante que le type de C.unicolor, ce serait donc C.flavipes.
|
Edited by - Xavier on 21/10/2025 09:37:46 |
 |
|
| |
Topic  |
|