Cerambycoidea Forum
Home
|
Profile
|
Register
|
Active Topics
|
Members
|
Search
|
FAQ
Username:
Password:
Save Password
Forgot your Password?
All Forums
Cerambycidae Cerambycinae
Obriini
Australia
New Topic
Reply to Topic
Send Topic to a Friend
Printer Friendly
|
More
Author
Topic
dryobius
Member Rosenbergia
USA
1918 Posts
Posted - 22/02/2019 : 17:27:53
284.95 KB
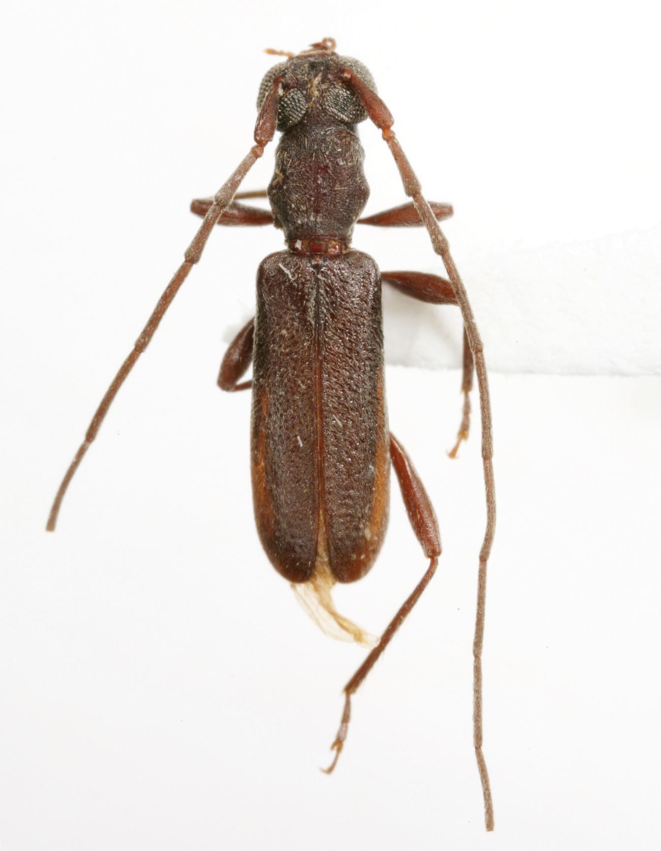
Northern Territories
5 mm
Topic
New Topic
Reply to Topic
Send Topic to a Friend
Printer Friendly
|
More
Jump To:
Select Forum
Generalities
News
Scientific questions
Techniques
Exchange requests
Various
Keys
not Cerambycidae
Oxypeltidae
Disteniidae
Vesperidae
Cerambycidae Prioninae
Meroscelisini
Anacolini
Closterini
Cantharocnemini
Aegosomatini
Eurypodini
Callipogonini
Remphanini
Macrotomini
Mallodontini
Cacoscelini
Parandrini
Prionini
Acanthophorini
Macrodontiini
Mallaspini
small tribes of Prioninae
unidentified Prioninae
Cerambycidae Cerambycinae
Xystrocerini
Plectogasterini
Hesperophanini
Eburiini
Cerambycini
Callidiopini
Strongylurini
Phoracanthini
Ibidionini
Obriini
Callidiini
Compsocerini
Dychophyiini
Trachyderini
Callichromatini
Molorchini
Stenopterini / Hyboderini
Rhinotragini
Prothemini
Pseudolepturini
Clytini
Anaglyptini
Thraniini
Tillomorphini
Sestyrini
Glaucytini
unsorted Cerambycinae
Cerambycidae Lepturinae
Xylosteini
Rhagiini
Lepturini
Necydalini
unsorted Lepturinae
Cerambycidae Dorcasominae
Dorcasominae
Cerambycidae Spondylidinae
Spondylidinae
Cerambycidae Lamiinae
Pteropliini
Keys to Lamiinae
Gyaritini
Acmocerini
Theocridini
Agapanthiini
Hemilophini
Saperdini
Astathini
Apomecynini
Eunidiini
Homonoeini
Tmesisternini
Xylorhizini
Tragocephalini
Onciderini
Dorcadiini
Crossotini
Ceroplesini
Phrynetini
Desmiphorini
Pachystolini
Petrognathini
Acanthoderini
Acanthocinini
Colobotheini
Morimopsini
Parmenini
Dorcaschematini
Ancylonotini
Mesosini
Xenoleini
Prosopocerini
Sternotomini
Lamiini
Batocerini
Phrissomini
Small tribes of Lamiinae
unidentified Lamiinae
mixed Cerambycoidea
fossil and subfossil Cerambycids
unsorted species
Links
Titan Base
iNaturalist
Digital Library
BioLib
Photo Gallery
Cerambycoidea TYPES
Disteniidae Types
Vesperidae Types
Prioninae Types
Cerambycinae Types
Lepturinae Types
Dorcasominae Types
Spondylidinae Types
Lamiinae Types
Public collections
Linnean Collection
Fabricius' types
AMNH
ANSP
BM
CAS
FSCA
IRSNB
MNKM
MNRJ
MV
SZMN
USNM
Confidential Section
New species?
Papers covered by copyright
not Cerambycoidea
Coleoptera
fossil and subfossil Coleoptera
--------------------
Home
Active Topics
Frequently Asked Questions
Member Information
Search Page
Cerambycoidea Forum
© 2000-08 Snitz Communications