|
Xavier
Scientific Collaborator
    
France
12548 Posts |
Posted - 11/08/2019 : 14:22:06
|
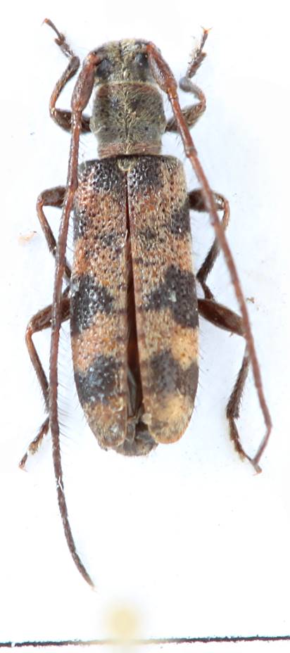
C'est maintenant Arhopaloscelis bifasciata (Kraatz, 1879). Rhopaloscelis est un genre très différent, avec des épines bien plus larges au pronotum.
 138.42 KB Dessin original. |
Edited by - Xavier on 11/08/2019 14:46:22 |
 |
|