|
Xavier
Scientific Collaborator
    
France
12553 Posts |
Posted - 25/05/2019 : 12:38:27
|
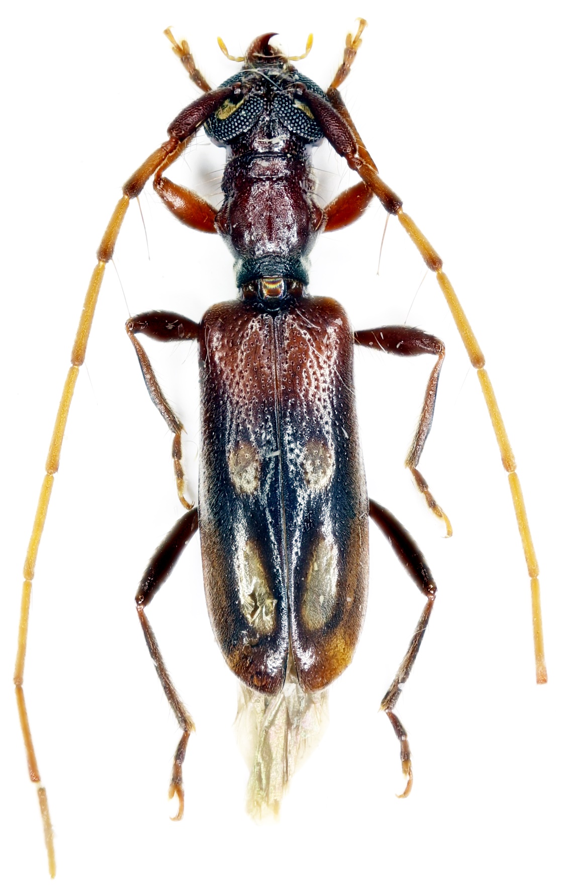
| A Stenhomalus sp., close to Stenhomalus fenestratus White, 1855 & Stenhomalus komiyai Niisato & Weigel, 2005, but more probably a new species. |
Edited by - Xavier on 25/05/2019 12:38:56 |
 |
|