Cerambycoidea Forum
Cerambycoidea Forum
Home | Profile | Register | Active Topics | Members | Search | FAQ
Username:
Password:
Save Password
Forgot your Password?

 All Forums
 Cerambycidae Cerambycinae
 Obriini
 Uganda: Stenhomalus duffyi
 New Topic  Reply to Topic
 Send Topic to a Friend
 Printer Friendly
| More
Author Previous Topic Topic Next Topic  

Vitali
Member Rosenbergia

Estonia
1022 Posts

Posted - 02/06/2019 :  20:31:13  Show Profile  Email Poster  Reply with Quote

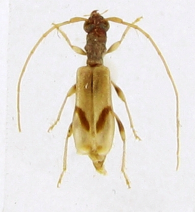
132.73 KB

Uganda. Size ca 6 mm. Somewhat immature, seems to be Obrium.

Edited by - Xavier on 05/06/2019 07:47:16

Littlebeetle23
Member Purpuricenus

France
296 Posts

Posted - 03/06/2019 :  08:50:11  Show Profile  Email Poster  Reply with Quote
A Stenhomalus, maybe S. duffyi.
Go to Top of Page

Vitali
Member Rosenbergia

Estonia
1022 Posts

Posted - 03/06/2019 :  10:11:03  Show Profile  Email Poster  Reply with Quote
Yes, Stenhomalus. Antennae with setae on inner sides. Thank you.
Go to Top of Page

anders
Member Demonax

Norway
81 Posts

Posted - 04/06/2019 :  22:54:21  Show Profile  Email Poster  Reply with Quote
Yes, definitely S. duffyi (Lepesme & Breuning, 1956)
Go to Top of Page

Vitali
Member Rosenbergia

Estonia
1022 Posts

Posted - 04/06/2019 :  23:47:09  Show Profile  Email Poster  Reply with Quote
Great! Thank you. I have no the article with description, so could not verify the species myself.
Go to Top of Page

Xavier
Scientific Collaborator

France
12553 Posts

Posted - 05/06/2019 :  07:47:00  Show Profile  Email Poster  Reply with Quote
Stenhomalus duffyi (Lepesme & Breuning, 1956) for the full name.
Go to Top of Page
  Previous Topic Topic Next Topic  
 New Topic  Reply to Topic
 Send Topic to a Friend
 Printer Friendly
| More
Jump To:
Cerambycoidea Forum © 2000-08 Snitz Communications Go To Top Of Page
Powered By: Snitz Forums 2000 Version 3.4.07