Cerambycoidea Forum
Cerambycoidea Forum
Home | Profile | Register | Active Topics | Members | Search | FAQ
Username:
Password:
Save Password
Forgot your Password?

 All Forums
 Cerambycidae Lamiinae
 Tragocephalini
 Cameroon: Tragocephala bassamensis ?
 New Topic  Reply to Topic
 Send Topic to a Friend
 Printer Friendly
| More
Author Previous Topic Topic Next Topic  

L. Hart
Member Purpuricenus

United Kingdom
425 Posts

Posted - 28/08/2019 :  16:02:23  Show Profile  Email Poster  Visit L. Hart's Homepage  Reply with Quote

118.87 KB


108.74 KB

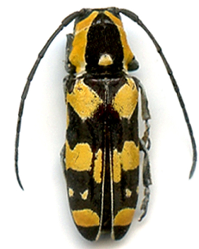
From Cameroon, Approx 18 mm
Very similar to previous one from Togo ?

Edited by - Xavier on 07/09/2019 10:39:28

Jérôme Sudre
Member Rosenbergia

France
1814 Posts

Posted - 02/09/2019 :  22:08:36  Show Profile  Email Poster  Reply with Quote
Cet insecte m'a l'air d'être T bassamensis mais vérifier tout de même ?
Go to Top of Page

Xavier
Scientific Collaborator

France
12519 Posts

Posted - 07/09/2019 :  10:39:04  Show Profile  Email Poster  Reply with Quote
Tragocephala bassamensis Thomson, 1857 (?) for the full name.
Go to Top of Page
  Previous Topic Topic Next Topic  
 New Topic  Reply to Topic
 Send Topic to a Friend
 Printer Friendly
| More
Jump To:
Cerambycoidea Forum © 2000-08 Snitz Communications Go To Top Of Page
Powered By: Snitz Forums 2000 Version 3.4.07