Cerambycoidea Forum
Cerambycoidea Forum
Home | Profile | Register | Active Topics | Members | Search | FAQ
Username:
Password:
Save Password
Forgot your Password?

 All Forums
 Cerambycidae Cerambycinae
 Clytini
 China: Rhaphuma laosica
 New Topic  Reply to Topic
 Send Topic to a Friend
 Printer Friendly
| More
Author Previous Topic Topic Next Topic  

nalslan
Member Purpuricenus

China
325 Posts

Posted - 01/09/2019 :  11:34:06  Show Profile  Email Poster  Reply with Quote
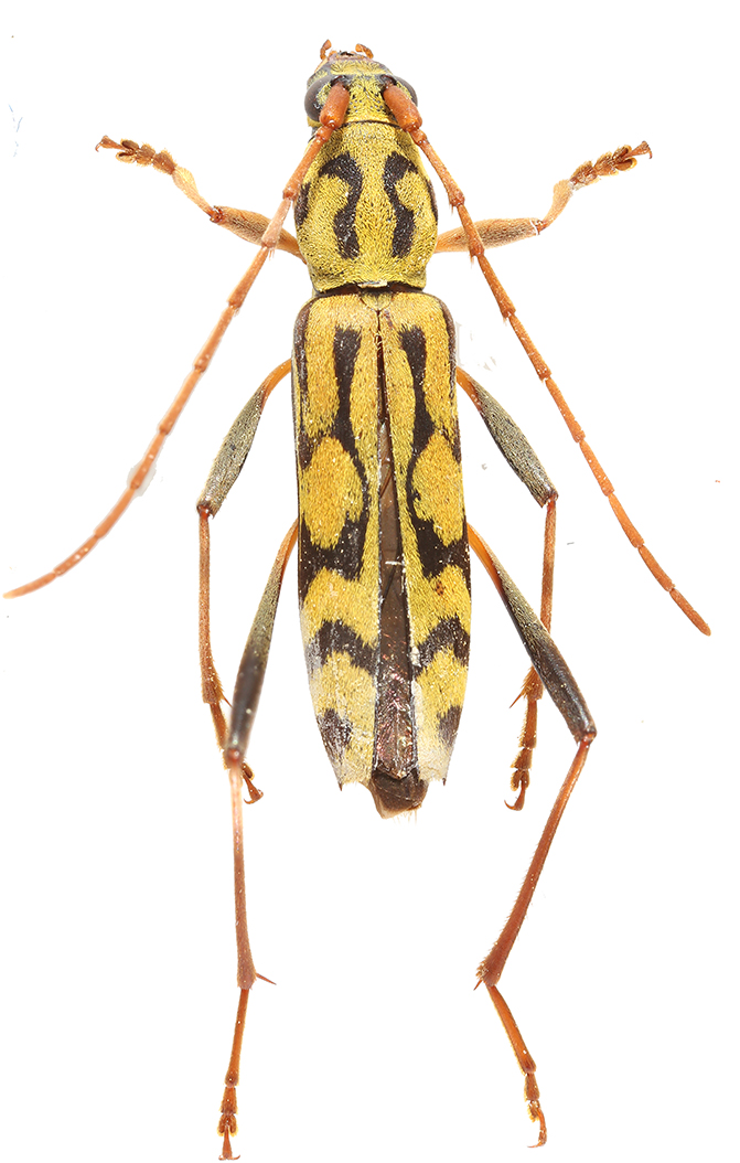
Somehow like R. circumscripta, a species described from Taiwan
see here.



314.69 KB
Guizhou, China.

Edited by - Xavier on 15/09/2022 17:19:34

Xavier
Scientific Collaborator

France
12553 Posts

Posted - 01/09/2019 :  11:54:57  Show Profile  Email Poster  Reply with Quote
Is it really a Rhaphuma sp. ?



62.23 KB
Go to Top of Page

nalslan
Member Purpuricenus

China
325 Posts

Posted - 01/09/2019 :  12:37:12  Show Profile  Email Poster  Reply with Quote
Xavier, thanks. I get what you meant. They are hairs, not spines.

quote:
Originally posted by Xavier

Is it really a Rhaphuma sp. ?





Edited by - nalslan on 01/09/2019 12:39:46
Go to Top of Page

znort
Member Rosalia

France
511 Posts

Posted - 15/09/2022 :  16:33:19  Show Profile  Email Poster  Reply with Quote
Pourquoi pas Rhaphuma laosica Gressitt & Rondon 1970 dont le type est disponible ici
http://bezbycids.com/byciddb/wdetails.asp?id=48302&w=o

Chinese Cerambycidae
Go to Top of Page
  Previous Topic Topic Next Topic  
 New Topic  Reply to Topic
 Send Topic to a Friend
 Printer Friendly
| More
Jump To:
Cerambycoidea Forum © 2000-08 Snitz Communications Go To Top Of Page
Powered By: Snitz Forums 2000 Version 3.4.07