|
Pierre
Member Rosenbergia
   
Switzerland
1808 Posts |
Posted - 18/02/2026 : 07:38:28
|
 152.22 KB
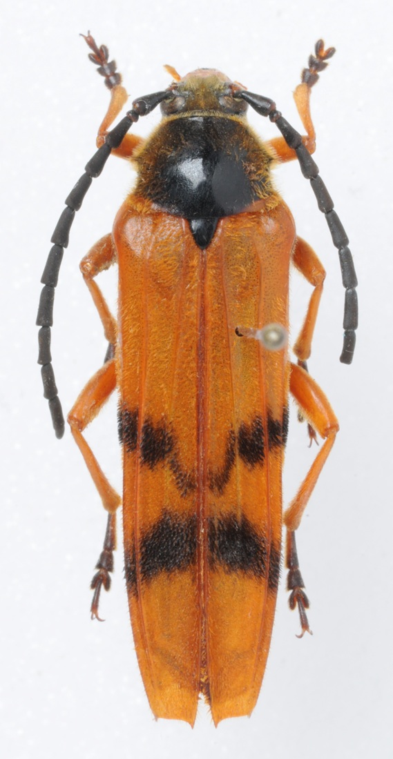
Australia is quite a black box for me... The labes says: Boonoo-Boonoo, N.S.W. W.D., 20-12-56 25mm.
A bit out of topic: the general body shape and coloration of this beetle recall some australian Buprestidae. The convergent evolution is striking. |
Edited by - Pierre on 18/02/2026 09:24:57 |
|