| Author |
Topic  |
|
|
Carlo
Member Rosenbergia
   
Italy
1138 Posts |
Posted - 17/01/2010 : 18:37:27
|

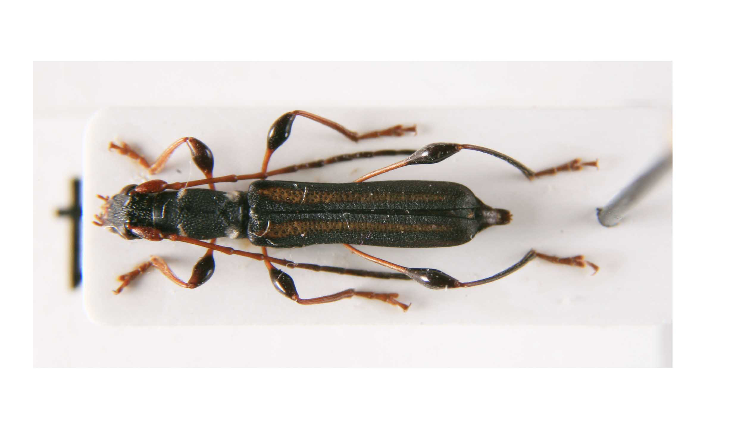
Tailandia 10 mm. |
Edited by - Xavier on 06/10/2025 13:00:22 |
|
|
Francesco
Forum Admin
    
Luxembourg
9697 Posts |
Posted - 21/01/2010 : 08:41:31
|
Dovrebbe essere la Nida flavovittata Pascoe, 1867 (Cleomenini), ne ho anch'io una della regione di Chiang Mai. Gahan (1906) ne parla a pagina 318 del suo libro sui cerambici dell'India (interamente scaricabile qui). |
 |
|
|
nasa
Member Rosalia
  
China
972 Posts |
Posted - 03/09/2015 : 20:17:42
|
quote: Originally posted by Francesco
Dovrebbe essere la Nida flavovittata Pascoe, 1867 (Cleomenini), ne ho anch'io una della regione di Chiang Mai. Gahan (1906) ne parla a pagina 318 del suo libro sui cerambici dell'India (interamente scaricabile qui).
If this guy is Nida flavovittata Pascoe, 1867, I belive Ceresium vittidorsum Pic, 1904 should not be a junior synonym of Nida flavovittata comparing with the type of Ceresium vittidorsum (see type section). |
Edited by - nasa on 03/09/2015 20:32:19 |
 |
|
|
Xavier
Scientific Collaborator
    
France
12553 Posts |
Posted - 11/09/2015 : 20:25:42
|
Yes, I agree with Guiqiang : I have a specimen from Laos with blackish-brown legs and white scutellum, identical to the type of Ceresium vittidorsum Pic, 1904
 153.94 KB
Carlo's species is another one. And we have to check proposed synonym. |
Edited by - Xavier on 11/09/2015 20:42:47 |
 |
|
|
Xavier
Scientific Collaborator
    
France
12553 Posts |
Posted - 11/09/2015 : 20:40:52
|
Gahan (The Fauna of British India, 1906) talks about a black species, with a "C-shaped" band of white pubescence on each side of the prothorax . His description of Nida flavovittata Pascoe, 1867 fits well the holotype of Ceresium vittidorsum Pic, 1904 which is a synomym. So, I think - as Guiqiang - that Carlo's specimen is just another species.
|
 |
|
|
Francesco
Forum Admin
    
Luxembourg
9697 Posts |
Posted - 11/09/2015 : 21:21:24
|
mmmhm... it might be one of the species described by Gardner. But I do not have the papers. |
 |
|
|
Xavier
Scientific Collaborator
    
France
12553 Posts |
Posted - 11/09/2015 : 22:45:35
|
quote: Originally posted by Francesco
mmmhm... it might be one of the species described by Gardner. But I do not have the papers.
I try to got them. Gardner has described numerous interesting species... |
 |
|
|
FraRug
Member Purpuricenus
 
Italy
236 Posts |
Posted - 26/05/2025 : 17:03:52
|
Reorganizing the Sestyrini of my collection, I came across this old post.
Nida, based on the descriptions, should have a 4th antennal article evidently shorter than the 5th. Furthermore, the club of the metafemora should not be much shorter than the relative peduncle. At least for N. flavovittata, then, both sexes should have antennae exceeding the end of the elytra. And these three characteristics are not verified in the insect in question.
It seems to me that it is rather a Nidella. The lengths of the various antennomeres, of the entire antennae, the shorter length of the metafemoral club correspond. For species such as Nidella asperana or N. repanda, also the color of legs and antennae.
With precoxal cavities open posteriorly it would still be a Nida (and then the characteristics of the genus should be revised), otherwise...
What do you think?  |
Edited by - FraRug on 26/05/2025 17:06:58 |
 |
|
|
FraRug
Member Purpuricenus
 
Italy
236 Posts |
Posted - 06/10/2025 : 11:00:33
|
I now have a specimen of the same species, which I have classified as Nidella asperana Holzschuh, 1991.
Everything seems to match; the anterior coxal cavities are closed.
 203.74 KB
Binh Thuan, Vietnam. 9 mm |
 |
|
|
Xavier
Scientific Collaborator
    
France
12553 Posts |
Posted - 06/10/2025 : 12:59:38
|
| Yes Francesco ! |
 |
|
|
FraRug
Member Purpuricenus
 
Italy
236 Posts |
Posted - 07/10/2025 : 00:13:08
|
OK!  |
 |
|
| |
Topic  |
|