| Author |
Topic  |
|
|
Xavier
Scientific Collaborator
    
France
12551 Posts |
Posted - 19/08/2012 : 18:49:13
|
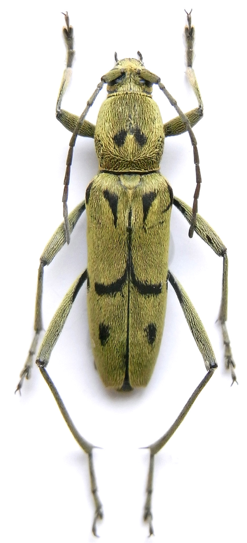
11 mm. Hua Phan, Nord Laos. Peut-être Chlorophorus probsti Holzschuh, 1989 dont je ne trouve pas la description originale. Une vague photographie, n°351, dans l'iconographie chinoise. |
Edited by - Capitaine on 30/01/2016 17:25:57 |
|
|
Francesco
Forum Admin
    
Luxembourg
9694 Posts |
Posted - 19/08/2012 : 19:05:18
|
Non, C. probsti est une espèce de Formose avec seulement deux petites virgules à chaque côté de l’écusson. Celui-ci est le mâle de l'espèce qui est déjà parue ici. |
 |
|
|
Xavier
Scientific Collaborator
    
France
12551 Posts |
Posted - 19/08/2012 : 19:34:45
|
| Merci Francesco, je n'avais pas fait le rapport entre ces 2 espèces. |
 |
|
|
Xavier
Scientific Collaborator
    
France
12551 Posts |
Posted - 04/11/2013 : 14:44:57
|

J'ajoute ici la possible femelle de cette espèce (14 mm, même localité). Il s'agit je pense de Chlorophorus tixieri (Pic, 1902) dont le type est visible ici. |
 |
|
|
znort
Member Rosalia
  
France
511 Posts |
Posted - 06/11/2013 : 08:57:02
|
| Pas si évident que ca, ton specimen a le pronotum très globuleux. Sur ta photo du type il est nettement rétréci vers l'avant... |
Chinese Cerambycidae |
 |
|
|
Xavier
Scientific Collaborator
    
France
12551 Posts |
Posted - 06/11/2013 : 21:52:53
|
 La femelle de côté |
 |
|
|
Xavier
Scientific Collaborator
    
France
12551 Posts |
Posted - 21/10/2014 : 16:52:40
|
14 mm. Hua Phan, nord-est Laos. J'ajoute ce spécimen plus proche du type visible ici
|
 |
|
| |
Topic  |
|