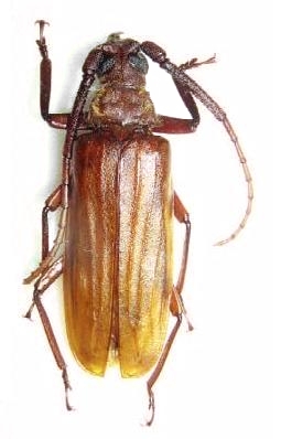
Aegosoma katsurai Prioninae  Aegosomatini
Aegosoma katsurai (Komiya, 2000)
male, Myanmar

Distribution:
Thailand, Vietnam, China (Yunnan)