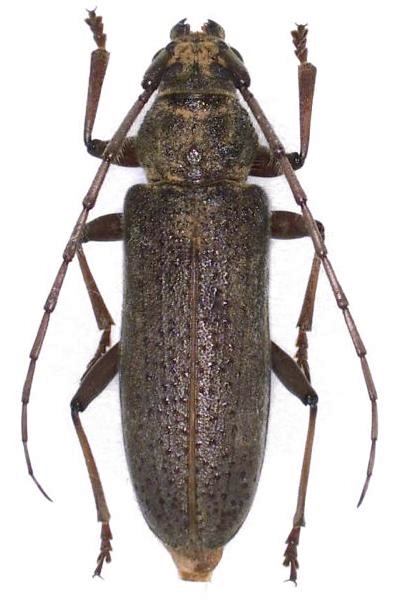
Stromatium longicorne Cerambycinae  Hesperophanini
Stromatium longicorne (Newman, 1842)
female, Japan

Distribution:
Japan, Taiwan, s China, Laos, Vietnam, Cambodia, Thailand, Myanmar, India, Malaysia, Borneo, Philippines, Indonesia (Sulawesi, Sunda, Moluccas: Bacan, Ambon, Seram), New Guinea