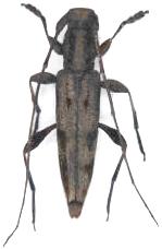
Rondibilis (Rondibilis) spinosula Lamiinae  Acanthocinini
Rondibilis (Rondibilis) spinosula (Pascoe, 1860)
male, Malaysia

Distribution:
Philippines (Palawan), Indonesia (Borneo, Java, Sumatra, Sulawesi, Moluccas: Aru), Papua New Guinea