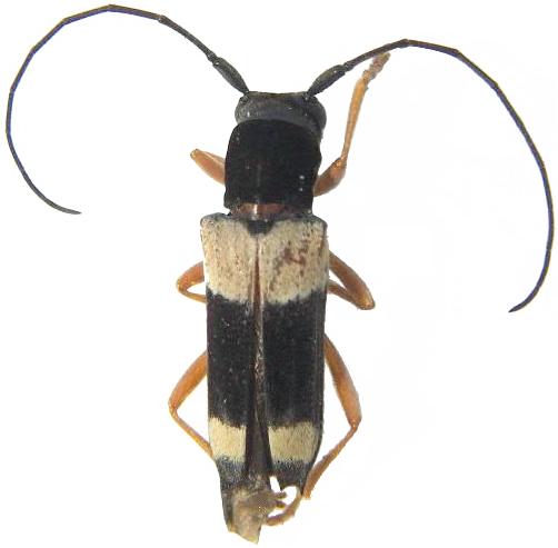
Glenea (Glenea) fasciata Lamiinae  Saperdini
Glenea (Glenea) fasciata (Fabricius, 1781)
typical form, male

Distribution:
Senegal, Guinea-Bissau, Sierra Leone, Liberia, Ivory Coast, Ghana, Togo, Benin, Nigeria, Cameroon, Central Africa, Gabon, Uganda, Tanzania, Rwanda