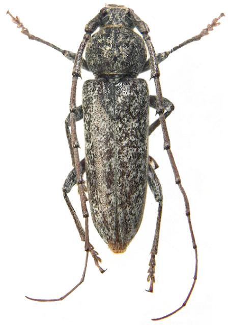
Enaphalodes cortiphagus Cerambycinae  Phoracanthini
Enaphalodes cortiphagus (Craighead, 1923)
male

Distribution:
Canada, USA, n Mexico