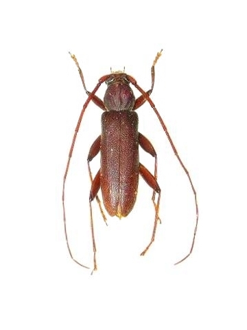
Nortia carinicollis Cerambycinae  Xystrocerini
Nortia carinicollis Schwarzer, 1925
male, Japan

Distribution:
China (Taiwan), Japan (Ryukyu)