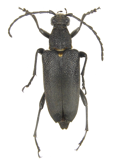
Stictoleptura (Melanoleptura) scutellata Lepturinae  Lepturini
Stictoleptura (Melanoleptura) scutellata (Fabricius, 1781)
female, Corsica

Distribution:
Portugal, Spain, France, Belgium, Switzerland, n Italy, Germany, Austria, Great Britain, Denmark, s Sweden, Poland, Czech Rep., Slovakia, Hungary, Slovenia, Croatia, Serbia, Albania, Romania, Bulgaria, Greece, Turkey