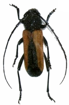
Purpuricenus ferrugineus Cerambycinae  Trachyderini
Purpuricenus ferrugineus Fairmaire, 1851
male

Distribution:
Portugal, Spain