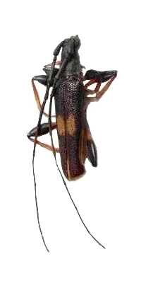
Arrhythmus rugosipennis Cerambycinae  Callidiopini
Arrhythmus rugosipennis Waterhouse, 1878
male

Distribution:
Madagascar, Comores