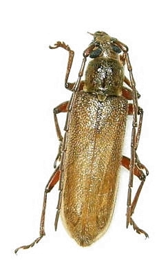
Ceresium unicolor Cerambycinae  Callidiopini
Ceresium unicolor (Fabricius, 1787)
female, New Caledonia

Distribution:
Madagascar Comoros Seychelles Tahiti Ceylon India Andaman Myanmar Thailand Indochina Taiwan Ryukyu Japan Philippines Borneo Malaysia Sumatra Java Sunda Moluccas Caroline Marianne Marshall New Guinea Solomon Vanuatu New Caledonia Australia Fiji Rapa Nui