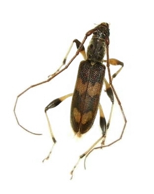
Araespor quinquepustulatus Cerambycinae  Callidiopini
Araespor quinquepustulatus (Montrouzier, 1861)
male

Distribution:
New Caledonia